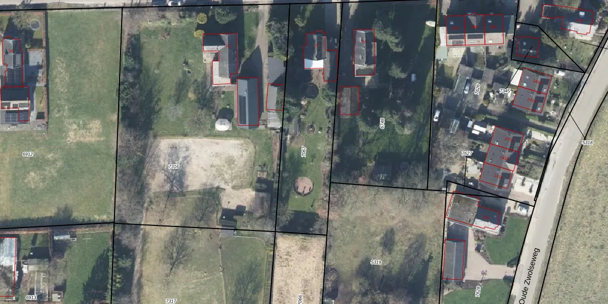
Perceel: APD01-D-7067
1.265 m2 - 186 m
Eigenaar opvragen
APD01-D-7067 (Apeldoorn)
- 7345 DL
CsuigIn7 xzH2lLiukbCg8YYibS6iUpgrade naar KadastraleKaart Pro
Verkoopprijs opvragen
Bekijk op Street View
Download DWG/DXF/Excel
DzXQfPK3gUpgrade naar KadastraleKaart Pro
S1knk1VW KtUpgrade naar KadastraleKaart Pro
0kRXP3w8LM VUpgrade naar KadastraleKaart Pro
JnG lMCAmPCO7cNfjUpgrade naar KadastraleKaart Pro
eHL 3qNfu5gLjHiCeEUpgrade naar KadastraleKaart Pro
mOtecByUpgrade naar KadastraleKaart Pro
0yAXe39LQzrldSo12WzUpgrade naar KadastraleKaart Pro
3zMdE93QBFdPMTB AXcUpgrade naar KadastraleKaart Pro
FvMOMyYjBV92stusj6c6Upgrade naar KadastraleKaart Pro
Y T 6jEVaUpgrade naar KadastraleKaart Pro
03/08/1999

Percelen
Gebruik de zoekbalk of klik op een perceel om informatie over het perceel te bekijken.