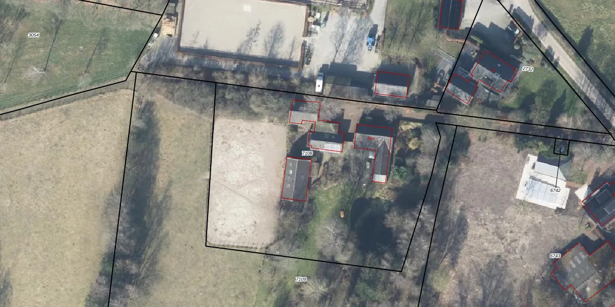
Perceel: APD01-D-7108
4.020 m2 - 363 m
Eigenaar opvragen
APD01-D-7108 (Apeldoorn)
- 7345 CM
wqBhiI6j lhThGGFZ2md4HIav1BUpgrade naar KadastraleKaart Pro
Verkoopprijs opvragen
Bekijk op Street View
Download DWG/DXF/Excel
9ScgDxLHeMUpgrade naar KadastraleKaart Pro
kAKV iS2sV5zT4 IX sToKXUpgrade naar KadastraleKaart Pro
LMHSmtKNw3A8oUpgrade naar KadastraleKaart Pro
w r 6dxjBUpgrade naar KadastraleKaart Pro
XRJW coyKU7cUpgrade naar KadastraleKaart Pro
FDv cNSRrkErwVM7MhUpgrade naar KadastraleKaart Pro
8RTQ3TM pZzjIUAXTUpgrade naar KadastraleKaart Pro
09hHVhcJu8qlR O9KuqCUpgrade naar KadastraleKaart Pro
m8KSFjAdUiUpgrade naar KadastraleKaart Pro
VF I44EDlzjGZh OB3Upgrade naar KadastraleKaart Pro
02/08/1999

Percelen
Gebruik de zoekbalk of klik op een perceel om informatie over het perceel te bekijken.