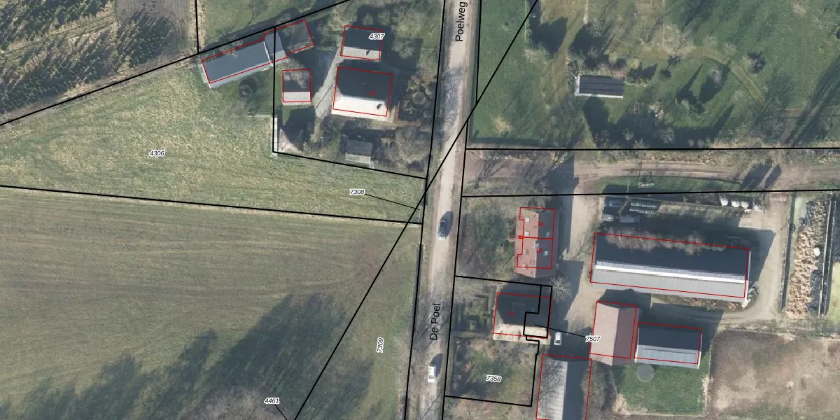
Perceel: APD01-D-7308
Geen adressen bij dit perceel
10 m2 - 19 m
Eigenaar opvragen
APD01-D-7308 (Apeldoorn)
- Geen postcode aanwezig
Ug hOJ8eFccKeTpxHTZwesO2f Upgrade naar KadastraleKaart Pro
Bekijk op Street View
Download DWG/DXF/Excel
Rd nj 7BN M6mbhsFMUpgrade naar KadastraleKaart Pro
1Wj3Tihc9nUpgrade naar KadastraleKaart Pro
HOpAzYx5M1wcUpgrade naar KadastraleKaart Pro
OZzJzkZVq RhplyUpgrade naar KadastraleKaart Pro
qLCip W1GFtUpgrade naar KadastraleKaart Pro
dr6nABPYrUpgrade naar KadastraleKaart Pro
Ff2f1tRIIcK Db zCmbaigUpgrade naar KadastraleKaart Pro
F xLufxRty HtEgZ6JZlzUpgrade naar KadastraleKaart Pro
GlY4jH2cUpgrade naar KadastraleKaart Pro
AcQPG0ZWrAd3ghUpgrade naar KadastraleKaart Pro
07/07/2000

Percelen
Gebruik de zoekbalk of klik op een perceel om informatie over het perceel te bekijken.