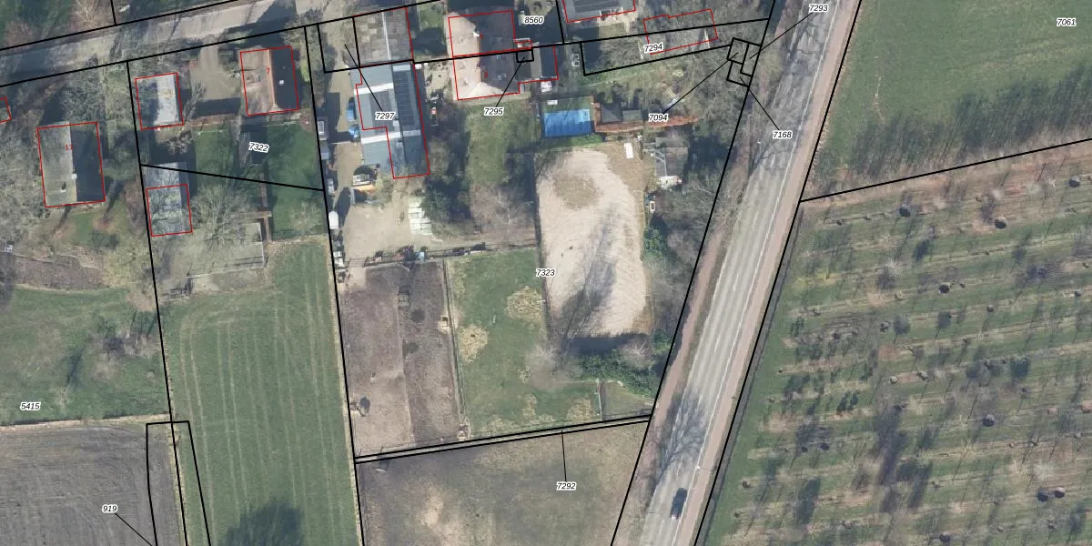
Perceel: APD01-D-7323
4.441 m2 - 306 m
Eigenaar opvragen
APD01-D-7323 (Apeldoorn)
- 7345 DT
OinmQ0Znvb8 Cs tuBvu 9quBpSQT Upgrade naar KadastraleKaart Pro
Bekijk op Street View
Download DWG/DXF/Excel
gW1OFGYKp6Ea4qUpgrade naar KadastraleKaart Pro
cqwX1ZQGRjXcUpgrade naar KadastraleKaart Pro
4L0LF n B pXLaUpgrade naar KadastraleKaart Pro
U89kRTSqJryE wVhUpgrade naar KadastraleKaart Pro
n8pt j3mIOPvf7V WHE GUpgrade naar KadastraleKaart Pro
uNS eTV3fJBk5kUpgrade naar KadastraleKaart Pro
rnqHQI9s1w8AfmnRsNozgF Upgrade naar KadastraleKaart Pro
4treQTldDSMeUpgrade naar KadastraleKaart Pro
dHXwh4nPfJZ8SOHkiUpgrade naar KadastraleKaart Pro
9UB0FtkuJuj6Upgrade naar KadastraleKaart Pro
26/06/2025

Percelen
Gebruik de zoekbalk of klik op een perceel om informatie over het perceel te bekijken.