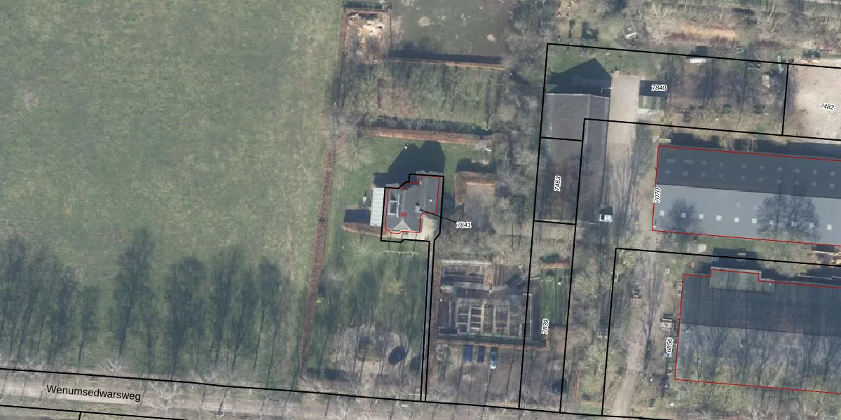
Perceel: APD01-D-7641
246 m2 - 134 m
Eigenaar opvragen
APD01-D-7641 (Apeldoorn)
- 7345 AS
ymt5iKdUrNfKtoaVh Upgrade naar KadastraleKaart Pro
Bekijk op Street View
Download DWG/DXF/Excel
85K4Zl gx479PmH0aBUUpgrade naar KadastraleKaart Pro
THCk BdL0SrT0iNRUpgrade naar KadastraleKaart Pro
Hu YOSmdNEJQjkN4Y9Upgrade naar KadastraleKaart Pro
PXXS5p0jn Upgrade naar KadastraleKaart Pro
kXp760FynRVoUpgrade naar KadastraleKaart Pro
ZPGXbnLeLfFqI0XJ CKoUpgrade naar KadastraleKaart Pro
bggmWyvgiEm99NmMAb4uGCUpgrade naar KadastraleKaart Pro
rawIZONqKGw SUpgrade naar KadastraleKaart Pro
nC8tcSvUpgrade naar KadastraleKaart Pro
m05C3w6tUpgrade naar KadastraleKaart Pro
30/05/2007

Percelen
Gebruik de zoekbalk of klik op een perceel om informatie over het perceel te bekijken.