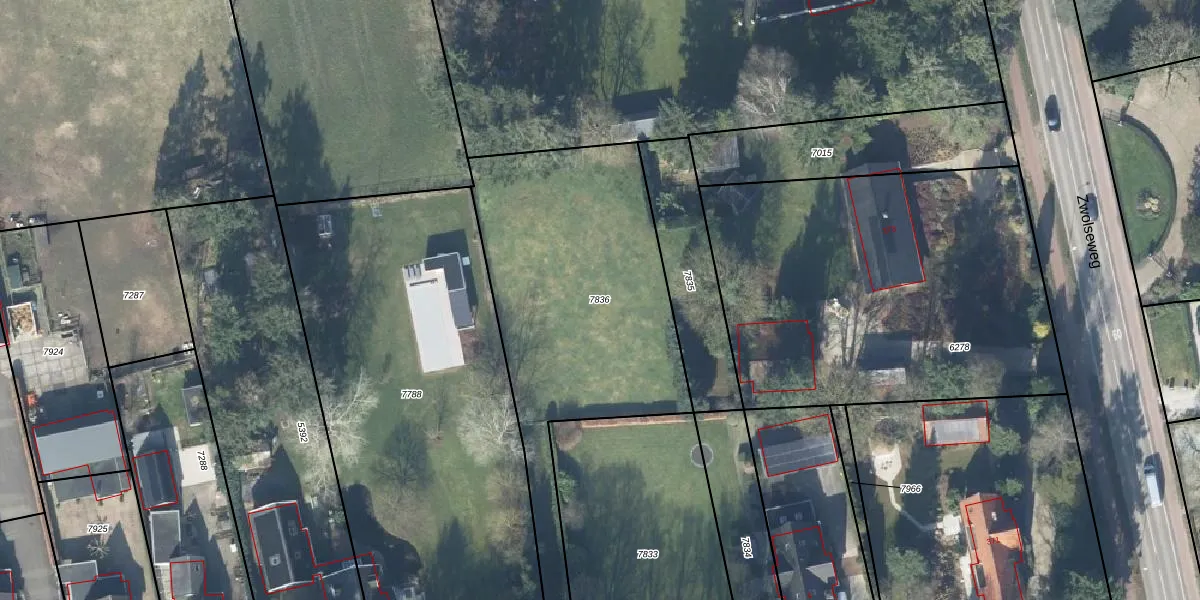
Perceel: APD01-D-7836
Geen adressen bij dit perceel
1.535 m2 - 241 m
Eigenaar opvragen
APD01-D-7836 (Apeldoorn)
- Geen postcode aanwezig
LENqDKSOwPvdZE6fX1Upgrade naar KadastraleKaart Pro
Bekijk op Street View
Download DWG/DXF/Excel
DHhsZ 5oUpgrade naar KadastraleKaart Pro
VqrkbtUqaY3s6LPXSQWUpgrade naar KadastraleKaart Pro
GyzuTOMZauC rYjnF4dUpgrade naar KadastraleKaart Pro
G KHEypI2b6cODUpgrade naar KadastraleKaart Pro
Eg v7kNj1Rg6eT5kUpgrade naar KadastraleKaart Pro
PSd 3nYwqUpgrade naar KadastraleKaart Pro
m5unssKLpJ1KKW 7z0 PUpgrade naar KadastraleKaart Pro
1fFTpOf PhcrddnGNxm9 Upgrade naar KadastraleKaart Pro
BMMPBnnyVQDrccFDuNUpgrade naar KadastraleKaart Pro
EMXLWlPxYFICr9lUpgrade naar KadastraleKaart Pro
04/05/2007

Percelen
Gebruik de zoekbalk of klik op een perceel om informatie over het perceel te bekijken.