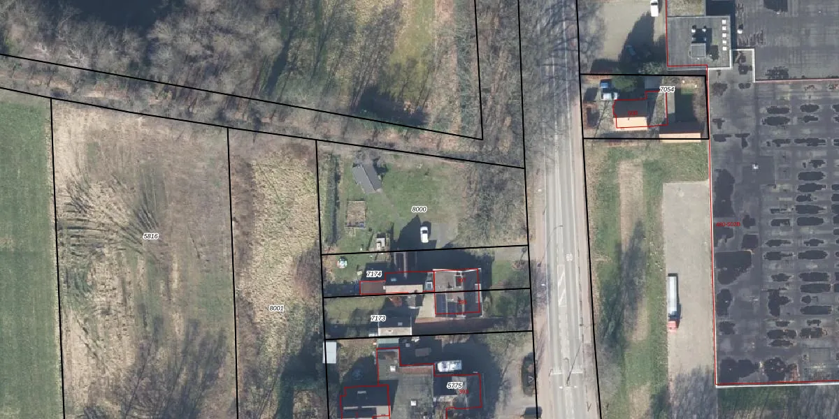
Perceel: APD01-D-8000
Geen adressen bij dit perceel
1.135 m2 - 146 m
Eigenaar opvragen
APD01-D-8000 (Apeldoorn)
- Geen postcode aanwezig
knFs D8ut7Rq44r2PaUpgrade naar KadastraleKaart Pro
Bekijk op Street View
Download DWG/DXF/Excel
GjSr4Fxb4Upgrade naar KadastraleKaart Pro
S5 7jkvEz Sdwk88N0Upgrade naar KadastraleKaart Pro
fo6tavfmqJEs6MN4T oZUpgrade naar KadastraleKaart Pro
TFzE4XYrUpgrade naar KadastraleKaart Pro
mdYaFFM3aI9oWUpgrade naar KadastraleKaart Pro
uapjkXmlJciT6I P3Upgrade naar KadastraleKaart Pro
d7MG8Wy63 sWHv5N9CIEtUpgrade naar KadastraleKaart Pro
Oy2lHl5Itc k fwrbGQEX1kUpgrade naar KadastraleKaart Pro
6mwy SDwXQt IHGs9ISLeUpgrade naar KadastraleKaart Pro
m1Tcuh2z3 4APrbVGue2Upgrade naar KadastraleKaart Pro
27/11/2012

Percelen
Gebruik de zoekbalk of klik op een perceel om informatie over het perceel te bekijken.