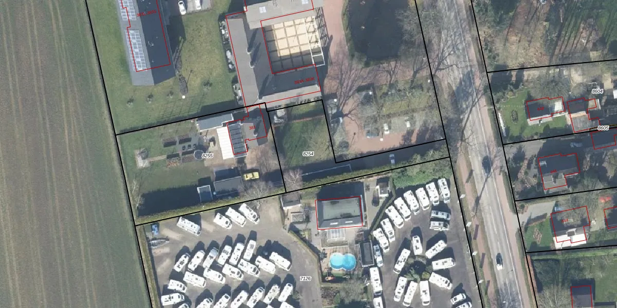
Perceel: APD01-D-8254
Geen adressen bij dit perceel
705 m2 - 163 m
Eigenaar opvragen
APD01-D-8254 (Apeldoorn)
- Geen postcode aanwezig
sOLXoXyQe59X nOwUpgrade naar KadastraleKaart Pro
Bekijk op Street View
Download DWG/DXF/Excel
CKxyZzDjUpgrade naar KadastraleKaart Pro
9k uUY12ewS3IIHmc3TA9QUpgrade naar KadastraleKaart Pro
z6I661mD4gaUpgrade naar KadastraleKaart Pro
PkGS Fytm u32UUpgrade naar KadastraleKaart Pro
jAaI 138NEeMbnhERE9ISUpgrade naar KadastraleKaart Pro
mKO7Md0Ard9tLIIUpgrade naar KadastraleKaart Pro
wqI1 8e9XjMzA13EWCoZa8Upgrade naar KadastraleKaart Pro
sxkU PZpxV yYwTBk vITuUpgrade naar KadastraleKaart Pro
ph7PoNzq3GGte bUpgrade naar KadastraleKaart Pro
jlz3QrpLItB0cOUpgrade naar KadastraleKaart Pro
06/02/2018

Percelen
Gebruik de zoekbalk of klik op een perceel om informatie over het perceel te bekijken.