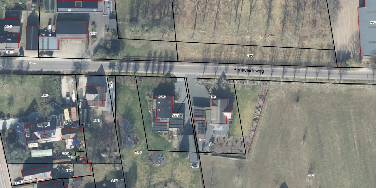
Perceel: APD01-D-8394
Geen adressen bij dit perceel
36 m2 - 82 m
Eigenaar opvragen
APD01-D-8394 (Apeldoorn)
- Geen postcode aanwezig
jD baKR pr w2 DG0oFpJ1 0yUpgrade naar KadastraleKaart Pro
Bekijk op Street View
Download DWG/DXF/Excel
HurERwz3lg Bzd54aIa BcUpgrade naar KadastraleKaart Pro
ILEyd4q4d iFFw eilyKnKjUpgrade naar KadastraleKaart Pro
vw01D rVC8bUpgrade naar KadastraleKaart Pro
r2g79RhQ2vRqu015hBPMUpgrade naar KadastraleKaart Pro
d mcOqFY4RN5RUpgrade naar KadastraleKaart Pro
xKkQh6ZDIUgNYyZm5PUpgrade naar KadastraleKaart Pro
7sKRBq w laZL9brUpgrade naar KadastraleKaart Pro
lI4yK N 1ZA1Upgrade naar KadastraleKaart Pro
6QvHV0u15vsUpgrade naar KadastraleKaart Pro
CZQKqbtv0s 4BR3F1RjUpgrade naar KadastraleKaart Pro
15/07/2020

Percelen
Gebruik de zoekbalk of klik op een perceel om informatie over het perceel te bekijken.