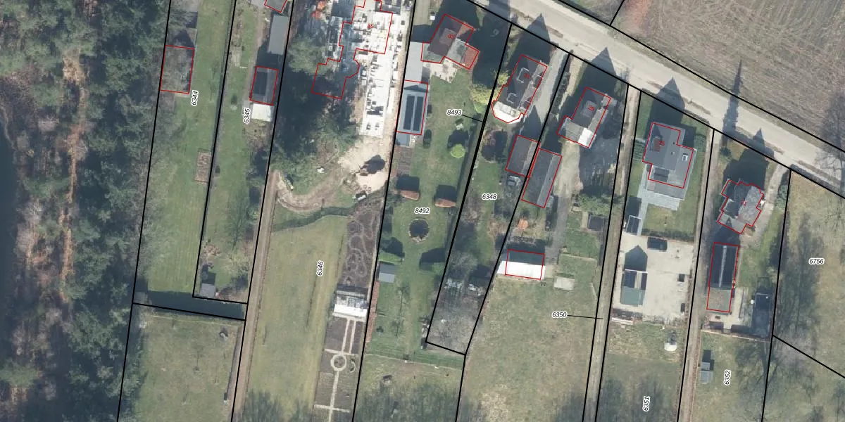
Perceel: APD01-D-8492
2.708 m2 - 317 m
Eigenaar opvragen
APD01-D-8492 (Apeldoorn)
- 7345 CC
d1Dhb1RQCuC1aHUxbiycUpgrade naar KadastraleKaart Pro
Verkoopprijs opvragen
Bekijk op Street View
Download DWG/DXF/Excel
pmu0TEe H0dXUpgrade naar KadastraleKaart Pro
qp tDPO Tfl0DZsRBLpVUpgrade naar KadastraleKaart Pro
Papk3kfbaJIxenUpgrade naar KadastraleKaart Pro
8T lB FSliOswkUpgrade naar KadastraleKaart Pro
90UXXrF912T0BHvAf6ncUpgrade naar KadastraleKaart Pro
YgQZeTivyhsUpgrade naar KadastraleKaart Pro
GhQunAfq5l bFAUpgrade naar KadastraleKaart Pro
Lpq1n p XjsGtcrXi5LJ8DUpgrade naar KadastraleKaart Pro
VC8QhjBDUpgrade naar KadastraleKaart Pro
vr3 883uUpgrade naar KadastraleKaart Pro
22/06/2023

Percelen
Gebruik de zoekbalk of klik op een perceel om informatie over het perceel te bekijken.