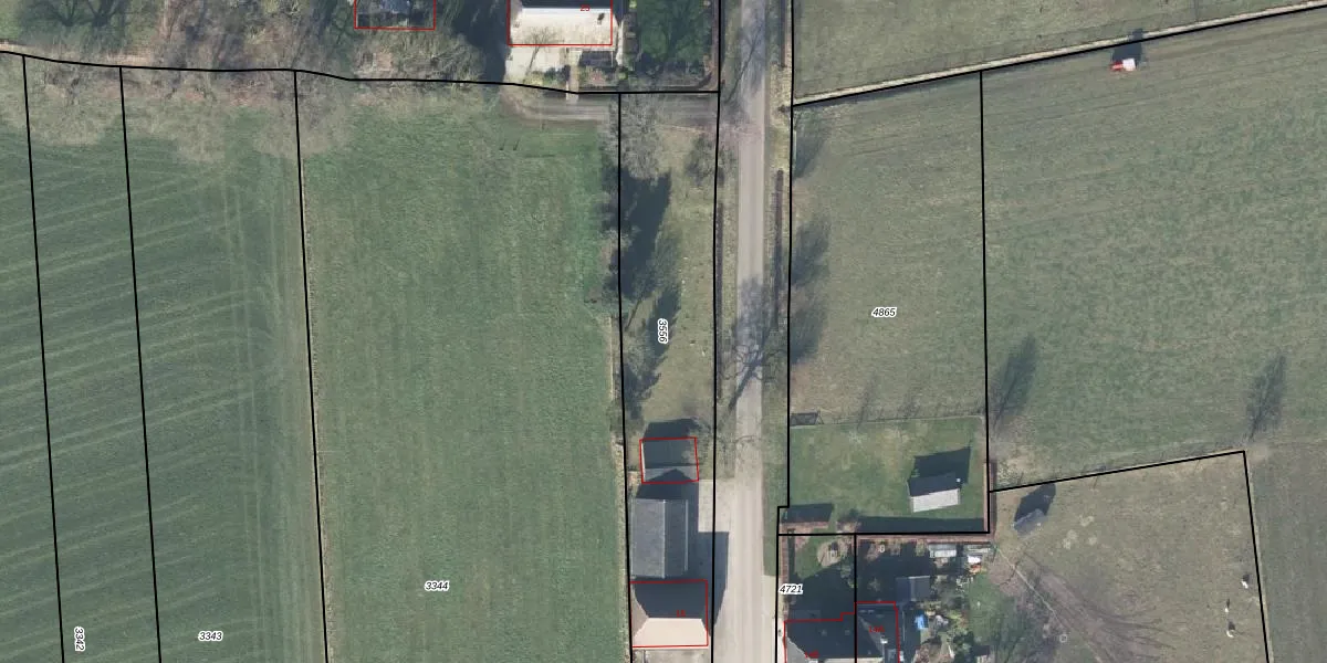
Perceel: APD01-E-3556
KadastraleKaart.com kan meer dan je denktOntdek meer ›
Filter op bestemming 50+ datasets Eigendomsdata in één klik Percelen CRM
1.728 m2 - 296 m
Eigenaar opvragen
APD01-E-3556 (Apeldoorn)
- 7341 PE
gyejW5jPr7x 7StazJjUpgrade naar KadastraleKaart Pro
Bekijk op Street View
Download DWG/DXF/Excel
edj e Vu1qlvxb0Rk Upgrade naar KadastraleKaart Pro
xURe16zQtQuFJz9BGD29xpUpgrade naar KadastraleKaart Pro
Mi2ua2Ef6qU55qUpgrade naar KadastraleKaart Pro
qiFyD VS ppX 4HUpgrade naar KadastraleKaart Pro
lOZUXk tUpgrade naar KadastraleKaart Pro
jE yPuiJ1kDIB fF XOPPYUpgrade naar KadastraleKaart Pro
0cKTBEjSpgD7qpaXkGWbGDUpgrade naar KadastraleKaart Pro
HIbpwzwDQ6aEUpgrade naar KadastraleKaart Pro
dY t6D3KmNNtSqUpgrade naar KadastraleKaart Pro
l1NmfzK 7iKUpgrade naar KadastraleKaart Pro
27/02/2023

Percelen
Gebruik de zoekbalk of klik op een perceel om informatie over het perceel te bekijken.