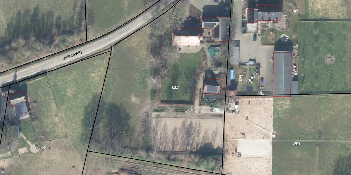
Perceel: APD01-E-3997
KadastraleKaart.com kan meer dan je denktOntdek meer ›
Filter op bestemming 50+ datasets Eigendomsdata in één klik Percelen CRM
6.170 m2 - 348 m
Eigenaar opvragen
APD01-E-3997 (Apeldoorn)
- 7341 AB
h9fGkJNk3tceClTm9tqUpgrade naar KadastraleKaart Pro
Bekijk op Street View
Download DWG/DXF/Excel
eaejdrf JyDnhpUpgrade naar KadastraleKaart Pro
5Yxmdz7NiKSUpgrade naar KadastraleKaart Pro
geaL 9U1OV9L2AUpgrade naar KadastraleKaart Pro
rn ftiZPMN5C4siXkn4CUpgrade naar KadastraleKaart Pro
2m YJhUeScTUpgrade naar KadastraleKaart Pro
XqqUS8PXsXv 8uFRLM RUpgrade naar KadastraleKaart Pro
qqtH3FORzv9GUpgrade naar KadastraleKaart Pro
Q1ijfA7yLleqUpgrade naar KadastraleKaart Pro
vy9k6QYI4VeaADNUpgrade naar KadastraleKaart Pro
gwI lE1jzZwztXlxbTNA7mWUpgrade naar KadastraleKaart Pro
13/07/2000

Percelen
Gebruik de zoekbalk of klik op een perceel om informatie over het perceel te bekijken.