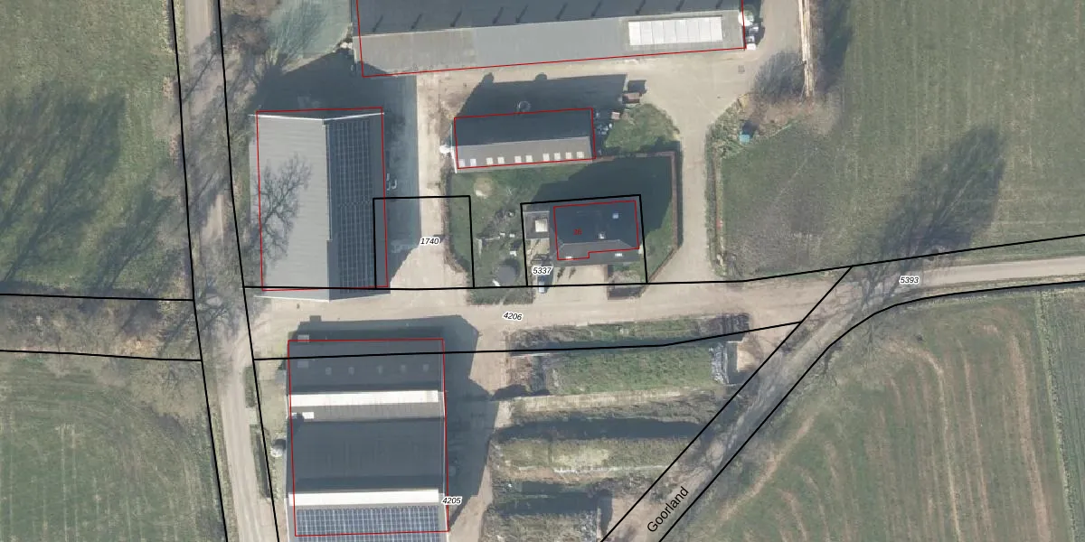
Perceel: APD01-E-5337
350 m2 - 76 m
Eigenaar opvragen
APD01-E-5337 (Apeldoorn)
- 7341 PG
e GoI508gF TSdRJNrDUpgrade naar KadastraleKaart Pro
Verkoopprijs opvragen
Bekijk op Street View
Download DWG/DXF/Excel
wp pw0FDSk7B hBUpgrade naar KadastraleKaart Pro
Q wZ9 jHHUpgrade naar KadastraleKaart Pro
w1la nLUpgrade naar KadastraleKaart Pro
9 gvd KPay3cvKa 5Upgrade naar KadastraleKaart Pro
4CKjiRF3mFsE4Upgrade naar KadastraleKaart Pro
pr 3sJ AQUpgrade naar KadastraleKaart Pro
otOoc1m7C Upgrade naar KadastraleKaart Pro
JqIcMIt0kFUpgrade naar KadastraleKaart Pro
TNJ3qK4WIEdM2P MaYqUpgrade naar KadastraleKaart Pro
7d7MTbbUfvUpgrade naar KadastraleKaart Pro
30/08/2022

Percelen
Gebruik de zoekbalk of klik op een perceel om informatie over het perceel te bekijken.