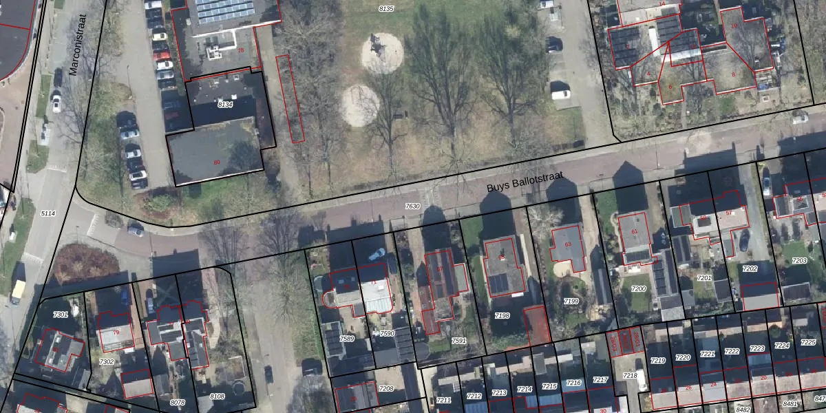
Perceel: APD01-I-7630
KadastraleKaart.com kan meer dan je denktOntdek meer ›
Filter op bestemming 50+ datasets Eigendomsdata in één klik Percelen CRM
Geen adressen bij dit perceel
2.850 m2 - 559 m
Eigenaar opvragen
APD01-I-7630 (Apeldoorn)
- Geen postcode aanwezig
Ve8ynygv MNTwj WKR5Upgrade naar KadastraleKaart Pro
Bekijk op Street View
Download DWG/DXF/Excel
dahiJ Ih4tO2 PiiurRYNUpgrade naar KadastraleKaart Pro
A 0Q obfra hTPxFq91 Upgrade naar KadastraleKaart Pro
I3S90ReTU Gxmix E3DQZUpgrade naar KadastraleKaart Pro
Z0nahC0qi buYfrXgT1Upgrade naar KadastraleKaart Pro
3Mwb9jQFcY c1Dow3mdUpgrade naar KadastraleKaart Pro
5PYes15 aiEV Cn0WjApUpgrade naar KadastraleKaart Pro
mP8uaxjZwgeFtonCqDjD 8Upgrade naar KadastraleKaart Pro
7lwmvZdg pe 2OhvfZQUpgrade naar KadastraleKaart Pro
BPr Y1 VYbazM AxUpgrade naar KadastraleKaart Pro
GvgcSabmye2Ufk B dAV2 Upgrade naar KadastraleKaart Pro
29/06/1999

Percelen
Gebruik de zoekbalk of klik op een perceel om informatie over het perceel te bekijken.