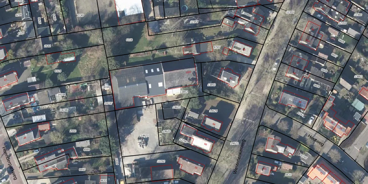
Perceel: APD01-L-13851
KadastraleKaart.com kan meer dan je denktOntdek meer ›
Filter op bestemming 50+ datasets Eigendomsdata in één klik Percelen CRM
1.080 m2 - 150 m
Eigenaar opvragen
APD01-L-13851 (Apeldoorn)
- 7335 CZ
yKPqJ9u13CDVEhDI718opGE8Tvz8QUpgrade naar KadastraleKaart Pro
Bekijk op Street View
Download DWG/DXF/Excel
q6taR3l6ULBniB x19h PVUpgrade naar KadastraleKaart Pro
JlnER XHB1m1WUpgrade naar KadastraleKaart Pro
z Mta 5f2F Upgrade naar KadastraleKaart Pro
Z06y6TO0jUpgrade naar KadastraleKaart Pro
F9Uuf3pLAwB 9N6Upgrade naar KadastraleKaart Pro
gPjD95XtiAMUynQXKAUpgrade naar KadastraleKaart Pro
YUDsQHPEmUpgrade naar KadastraleKaart Pro
i7ba zuE5vQBCrvJ FksoUpgrade naar KadastraleKaart Pro
Zl tdj0hLbvQ acCwCzuUpgrade naar KadastraleKaart Pro
bn29ABGEULa zUpgrade naar KadastraleKaart Pro
27/02/2024

Percelen
Gebruik de zoekbalk of klik op een perceel om informatie over het perceel te bekijken.