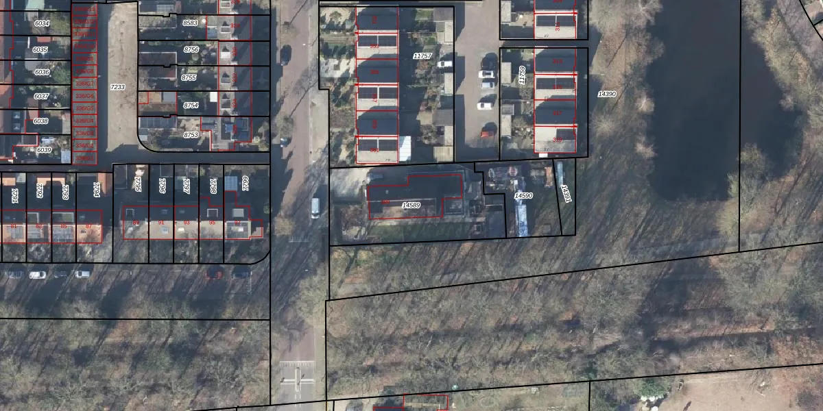
Perceel: APD01-L-14589
KadastraleKaart.com kan meer dan je denktOntdek meer ›
Filter op bestemming 50+ datasets Eigendomsdata in één klik Percelen CRM
761 m2 - 123 m
Eigenaar opvragen
APD01-L-14589 (Apeldoorn)
- 7333 AZ
q z QGVbE4FBOIqsuzuUpgrade naar KadastraleKaart Pro
Verkoopprijs opvragen
Bekijk op Street View
Download DWG/DXF/Excel
5qAEouXWkTIBtiUpgrade naar KadastraleKaart Pro
mvPOloJ9szmV2pQUB dDUpgrade naar KadastraleKaart Pro
ZyWXylfrxUpgrade naar KadastraleKaart Pro
yYSy 4TkHHE8TlvB bF2Upgrade naar KadastraleKaart Pro
NPcv b0mwbt6Upgrade naar KadastraleKaart Pro
R3kF1f60zs5WSh 1DUpgrade naar KadastraleKaart Pro
BJ4nrOY u8 rnxUpgrade naar KadastraleKaart Pro
J ZJy2SMxUpgrade naar KadastraleKaart Pro
rx7WIgN5UzT 2sUpgrade naar KadastraleKaart Pro
2GwLFweJZvrBJQp8 I6 n2 Upgrade naar KadastraleKaart Pro
25/09/2024

Percelen
Gebruik de zoekbalk of klik op een perceel om informatie over het perceel te bekijken.