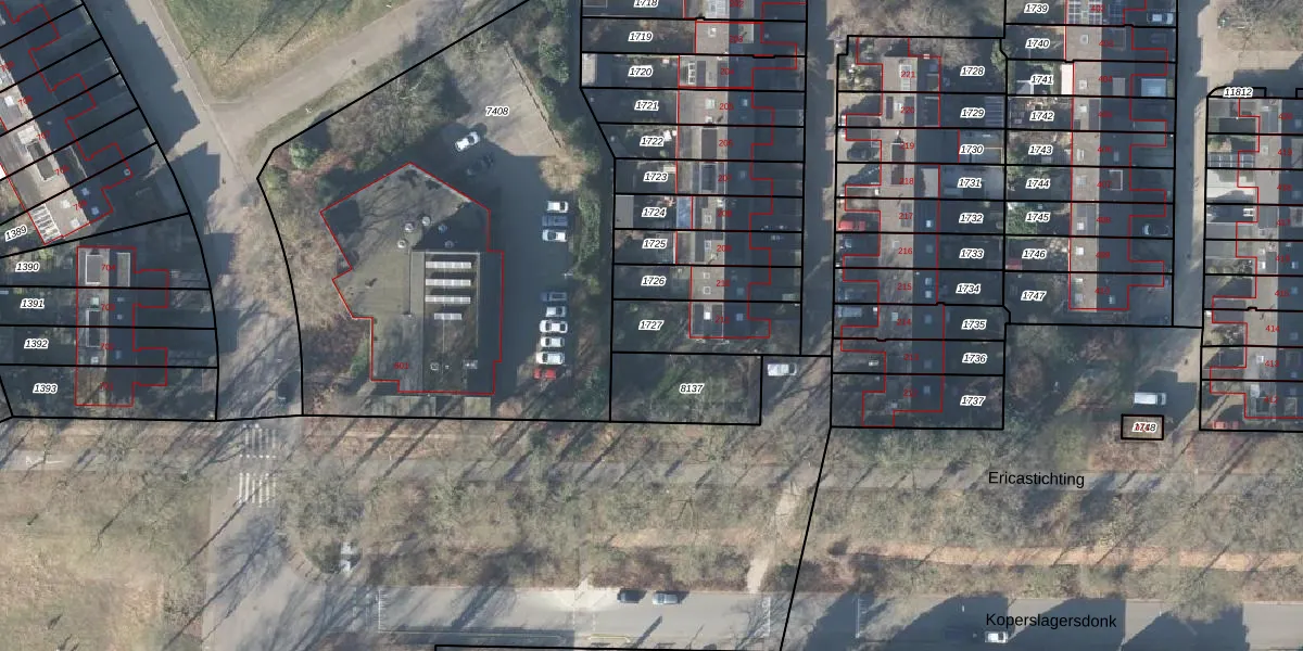
Perceel: APD02-AC-1727
238 m2 - 74 m
Eigenaar opvragen
APD02-AC-1727 (Apeldoorn)
- 7326 BV
q27R4Moyjyb7YqVJNRrlgX Upgrade naar KadastraleKaart Pro
Bekijk op Street View
Download DWG/DXF/Excel
tBthjOjuBkOWiUcfb iID Upgrade naar KadastraleKaart Pro
ic1zM5UIkvZUpgrade naar KadastraleKaart Pro
3jfC8nmT CSdkNdYuh5Upgrade naar KadastraleKaart Pro
CjVdVLy3HQUpgrade naar KadastraleKaart Pro
cVARN J2wNz57THBQCDFUpgrade naar KadastraleKaart Pro
tFYncjTYUpgrade naar KadastraleKaart Pro
VeKqe9oX4xjZbNsUpgrade naar KadastraleKaart Pro
Vvmxm0Mwgx HDaLBUpgrade naar KadastraleKaart Pro
UM0fvRl4tB8dxUpgrade naar KadastraleKaart Pro
OXgECn drE40dN1HjUpgrade naar KadastraleKaart Pro
15/03/2000

Percelen
Gebruik de zoekbalk of klik op een perceel om informatie over het perceel te bekijken.