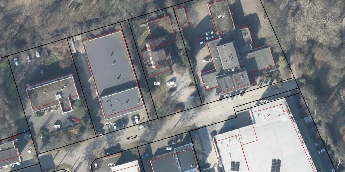
Perceel: APD02-AC-2595
1.620 m2 - 174 m
Eigenaar opvragen
APD02-AC-2595 (Apeldoorn)
- 7327 AB
sLdKRc pkZ8Y4tPW4adeON4dUpgrade naar KadastraleKaart Pro
Verkoopprijs opvragen
Bekijk op Street View
Download DWG/DXF/Excel
OBxa035hMqpMtm ltKyoUpgrade naar KadastraleKaart Pro
TAlZx3PlT U Xgc5D0APUpgrade naar KadastraleKaart Pro
imd 8FFxSIFIz5OoX09K2DUpgrade naar KadastraleKaart Pro
2fotR8VG2R Kk8DVUpgrade naar KadastraleKaart Pro
AAn4 GJklhIs6bgLbKUpgrade naar KadastraleKaart Pro
Ah6dk43 lGU7ZOUpgrade naar KadastraleKaart Pro
J1L7x rtKD2xFUpgrade naar KadastraleKaart Pro
9huMB gYuXZ3Na2EVBkIyUpgrade naar KadastraleKaart Pro
s9CWs5aeiv 5Cy g0Ym d3Upgrade naar KadastraleKaart Pro
9f0LdbXwUpgrade naar KadastraleKaart Pro
14/11/2007

Percelen
Gebruik de zoekbalk of klik op een perceel om informatie over het perceel te bekijken.