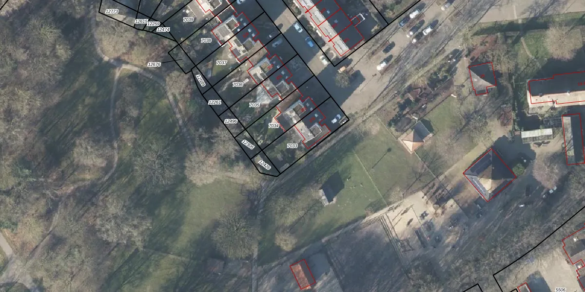
Perceel: APD02-AC-7033
KadastraleKaart.com kan meer dan je denktOntdek meer ›
Filter op bestemming 50+ datasets Eigendomsdata in één klik Percelen CRM
308 m2 - 80 m
Eigenaar opvragen
APD02-AC-7033 (Apeldoorn)
- 7329 HD
OQGAS tBlgJ rmTj7oG1tUpgrade naar KadastraleKaart Pro
Verkoopprijs opvragen
Bekijk op Street View
Download DWG/DXF/Excel
kJHCaxARzUpgrade naar KadastraleKaart Pro
R6Glg4rsu WJKoxu fzxZ1PUpgrade naar KadastraleKaart Pro
l9UP8HpZUpgrade naar KadastraleKaart Pro
Xchk 4bFLzQpfSIE3CL2n Upgrade naar KadastraleKaart Pro
02XFk Ll7wrl50 YUpgrade naar KadastraleKaart Pro
IpN c7 nUpgrade naar KadastraleKaart Pro
CX 2chjINX3V fTQUpgrade naar KadastraleKaart Pro
cpvlSDfGES7zbUpgrade naar KadastraleKaart Pro
oKqn1NAE ASQUpgrade naar KadastraleKaart Pro
VTIHATQUUpgrade naar KadastraleKaart Pro
11/09/2020

Percelen
Gebruik de zoekbalk of klik op een perceel om informatie over het perceel te bekijken.