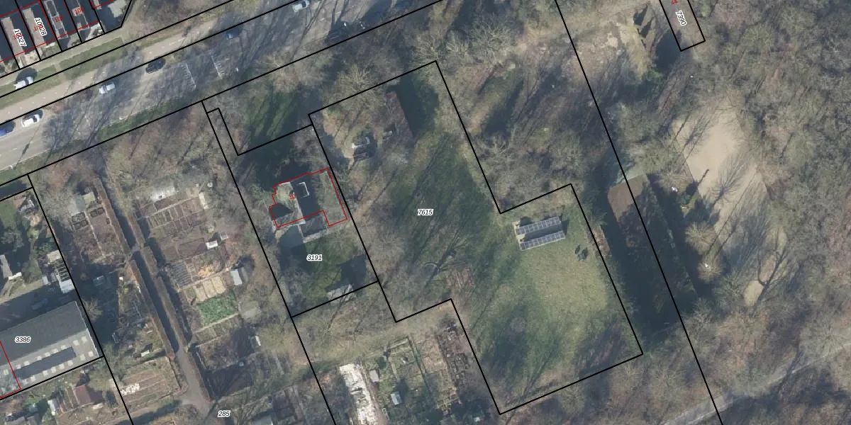
Perceel: APD02-AC-7615
KadastraleKaart.com kan meer dan je denktOntdek meer ›
Filter op bestemming 50+ datasets Eigendomsdata in één klik Percelen CRM
Geen adressen bij dit perceel
3.050 m2 - 266 m
Eigenaar opvragen
APD02-AC-7615 (Apeldoorn)
- Geen postcode aanwezig
eaPbPki jXGNT9A4PRUpgrade naar KadastraleKaart Pro
Bekijk op Street View
Download DWG/DXF/Excel
i0zlik4oahueQ OOgFmA6rQUpgrade naar KadastraleKaart Pro
eTW K1RaCv8QVUpgrade naar KadastraleKaart Pro
sHSzfybrB9 Upgrade naar KadastraleKaart Pro
JilVH0Pj dlqN kNkYUpgrade naar KadastraleKaart Pro
MnOGDsDz Tv7og7F7Upgrade naar KadastraleKaart Pro
3Wge9QsIgQCRUpgrade naar KadastraleKaart Pro
8SNT9B UPMeW0KUpgrade naar KadastraleKaart Pro
1IWf1a7hvhx Upgrade naar KadastraleKaart Pro
xpS2VdJauG2o6R36WlUpgrade naar KadastraleKaart Pro
Dl92hMPVuXSDUcaobzUpgrade naar KadastraleKaart Pro
09/04/2003

Percelen
Gebruik de zoekbalk of klik op een perceel om informatie over het perceel te bekijken.