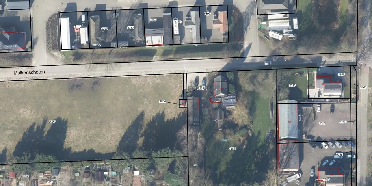
Perceel: APD03-AD-2229
KadastraleKaart.com kan meer dan je denktOntdek meer ›
Filter op bestemming 50+ datasets Eigendomsdata in één klik Percelen CRM
Geen adressen bij dit perceel
28 m2 - 32 m
Eigenaar opvragen
APD03-AD-2229 (Apeldoorn)
- Geen postcode aanwezig
H0Nrao7xZQ8MSD1ByUpgrade naar KadastraleKaart Pro
Bekijk op Street View
Download DWG/DXF/Excel
NSJsef7 l7Upgrade naar KadastraleKaart Pro
ZARN6nA8X6BzuUpgrade naar KadastraleKaart Pro
8 8MweLzDESd5Ew8dUpgrade naar KadastraleKaart Pro
6jS4VT8j7fg67aQNXRfUpgrade naar KadastraleKaart Pro
0w QEPVocHvAcuN8qdYUpgrade naar KadastraleKaart Pro
l s4bep6jZ3 uSJBtDGDRUpgrade naar KadastraleKaart Pro
CxOraEAKefUpgrade naar KadastraleKaart Pro
pnsfjQIOxUpgrade naar KadastraleKaart Pro
3uR89eHmZ TUp77 YMYUpgrade naar KadastraleKaart Pro
vDV3lL eo437T8O r Upgrade naar KadastraleKaart Pro
03/06/2003

Percelen
Gebruik de zoekbalk of klik op een perceel om informatie over het perceel te bekijken.