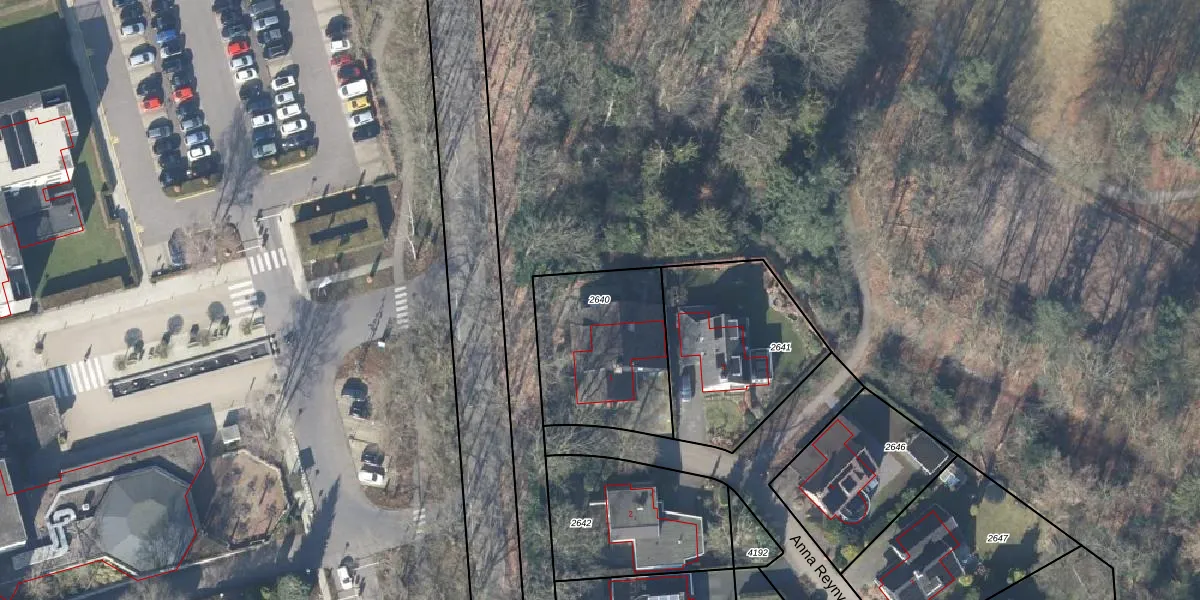
Perceel: APD03-AD-2640
KadastraleKaart.com kan meer dan je denktOntdek meer ›
Filter op bestemming 50+ datasets Eigendomsdata in één klik Percelen CRM
567 m2 - 97 m
Eigenaar opvragen
APD03-AD-2640 (Apeldoorn)
- 7334 DN
UD02g75Jh663Tpp eUpgrade naar KadastraleKaart Pro
Verkoopprijs opvragen
Bekijk op Street View
Download DWG/DXF/Excel
E8fH8nOVkwSOyNiYAWUpgrade naar KadastraleKaart Pro
cTsmY EpjSaQqZUpgrade naar KadastraleKaart Pro
e6Nah3 Onq5lcUXmJaUpgrade naar KadastraleKaart Pro
r shZaiPd427hvUpgrade naar KadastraleKaart Pro
6ycb5zEkUuOXBzFopld78yUpgrade naar KadastraleKaart Pro
q9JaphBrXUpgrade naar KadastraleKaart Pro
O4Nkl XOUpgrade naar KadastraleKaart Pro
oE2ZSxmTTUpgrade naar KadastraleKaart Pro
UIoGpBz0iTd78ZZ3E4aUpgrade naar KadastraleKaart Pro
3FIeRBsEqB 06z QfCUpgrade naar KadastraleKaart Pro
08/04/2009

Percelen
Gebruik de zoekbalk of klik op een perceel om informatie over het perceel te bekijken.