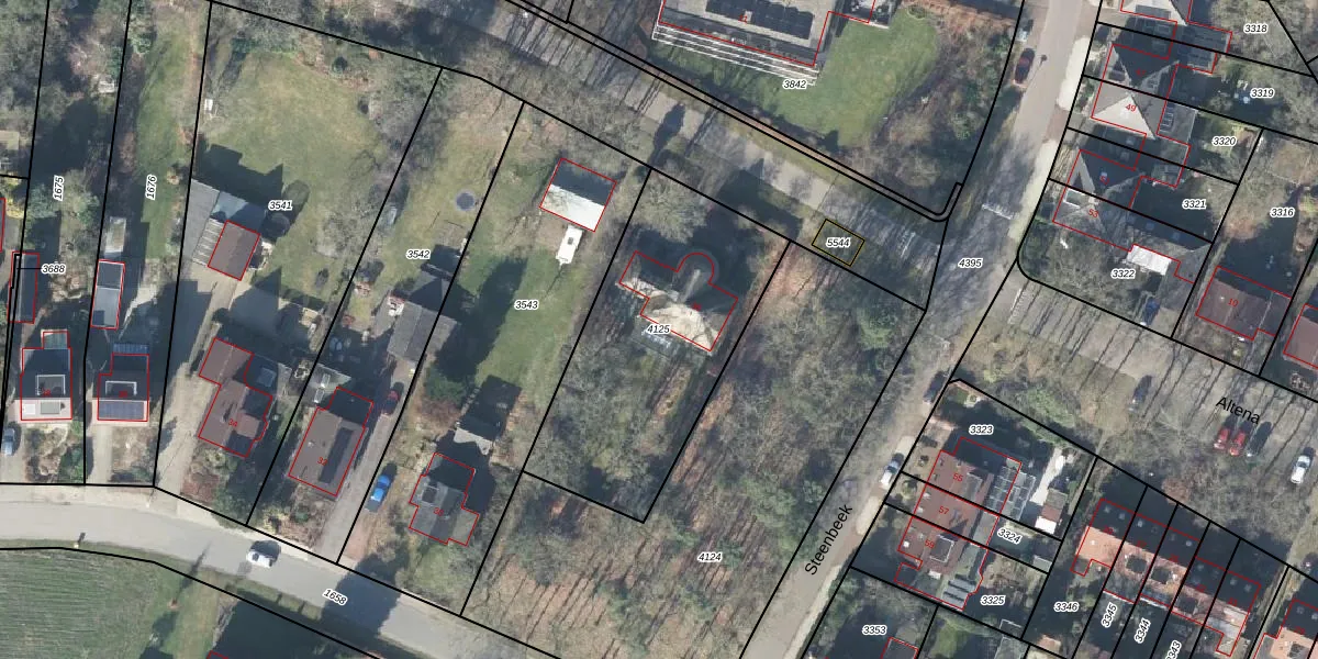
Perceel: APD03-AD-4125
KadastraleKaart.com kan meer dan je denktOntdek meer ›
Filter op bestemming 50+ datasets Eigendomsdata in één klik Percelen CRM
1.075 m2 - 142 m
Eigenaar opvragen
APD03-AD-4125 (Apeldoorn)
- 7339 GV
fK fZBV7r4OWrsZxtVUpgrade naar KadastraleKaart Pro
Bekijk op Street View
Download DWG/DXF/Excel
KqAm7I4 ZKP0b6NUI6fahYcUpgrade naar KadastraleKaart Pro
kQ DpfhntQ9C HZHwtAUpgrade naar KadastraleKaart Pro
SiTY6e wKMKxgOU e74vUpgrade naar KadastraleKaart Pro
xJXaZnGyTUpgrade naar KadastraleKaart Pro
eA XAffBYqsJFC2RMjh6xvUpgrade naar KadastraleKaart Pro
XqTm9f7SExsnDUfHM0DYUgfUpgrade naar KadastraleKaart Pro
UB TmY iuH LdnUn wFUpgrade naar KadastraleKaart Pro
Z5d8 XlWHH Upgrade naar KadastraleKaart Pro
syoMtjX3lX1aPMRMaUpgrade naar KadastraleKaart Pro
pMhV f2uPZ 54kWVvUpgrade naar KadastraleKaart Pro
08/06/2009

Percelen
Gebruik de zoekbalk of klik op een perceel om informatie over het perceel te bekijken.