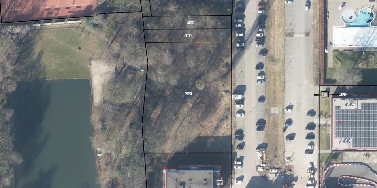
Perceel: APD03-AD-5555
KadastraleKaart.com kan meer dan je denktOntdek meer ›
Filter op bestemming 50+ datasets Eigendomsdata in één klik Percelen CRM
2.721 m2 - 211 m
Eigenaar opvragen
APD03-AD-5555 (Apeldoorn)
- 7333 NJ
uIUgYuDZJ GHsOCulebVc2WP1fFUpgrade naar KadastraleKaart Pro
Bekijk op Street View
Download DWG/DXF/Excel
o9 ykJPehFvpRS wdBUpgrade naar KadastraleKaart Pro
h4QL2XETNrm WbBwYwUpgrade naar KadastraleKaart Pro
6 E Sy5Dp Upgrade naar KadastraleKaart Pro
MVnpp i1GFPOuocnn2gk8Upgrade naar KadastraleKaart Pro
d9raeomYEzDgi a v v5DDcUpgrade naar KadastraleKaart Pro
2O 3Sgy8UM5u 4 E4pg1Upgrade naar KadastraleKaart Pro
A1pxsHATEDoUpgrade naar KadastraleKaart Pro
vIb6 OC5zYLzBUpgrade naar KadastraleKaart Pro
UdMBbk M Upgrade naar KadastraleKaart Pro
lLxZagSMyeOSID0DDISwUpgrade naar KadastraleKaart Pro
06/08/2025

Percelen
Gebruik de zoekbalk of klik op een perceel om informatie over het perceel te bekijken.