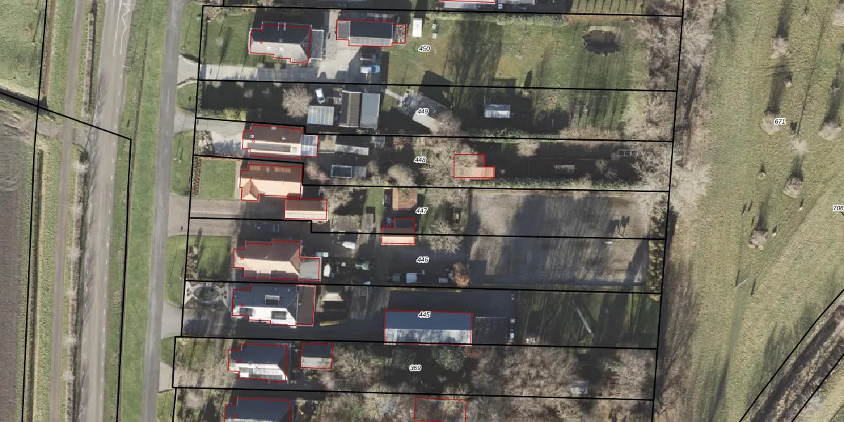
Perceel: APG00-F-447
KadastraleKaart.com kan meer dan je denktOntdek meer ›
Filter op bestemming 50+ datasets Eigendomsdata in één klik Percelen CRM
1.317 m2 - 260 m
Eigenaar opvragen
APG00-F-447 (Appingedam)
- 9902 TL
EviPUI8RJvLVW0h3wNMmmB gzlO9Upgrade naar KadastraleKaart Pro
Bekijk op Street View
Download DWG/DXF/Excel
VnVsu0bi Upgrade naar KadastraleKaart Pro
Dj2vJ6FY e86mFvLSUpgrade naar KadastraleKaart Pro
ddlZne8MPgj2ei5ZtuXwgLUpgrade naar KadastraleKaart Pro
Qz e07J2RSUpgrade naar KadastraleKaart Pro
zmE T3DHhJfUpgrade naar KadastraleKaart Pro
nCQWxoHLQxrUpgrade naar KadastraleKaart Pro
edLeqRg6fv7 V5WMyfUpgrade naar KadastraleKaart Pro
fm p8GQh0sUpgrade naar KadastraleKaart Pro
pO1ZHV0a0t0nn HPQTtUpgrade naar KadastraleKaart Pro
rD17uEbg9BY tDGJqqUpgrade naar KadastraleKaart Pro
19/03/2002

Percelen
Gebruik de zoekbalk of klik op een perceel om informatie over het perceel te bekijken.