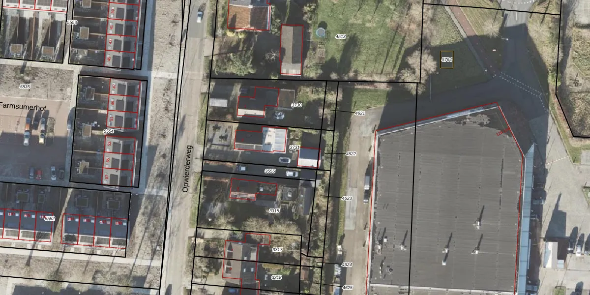
Perceel: APG00-G-3731
KadastraleKaart.com kan meer dan je denktOntdek meer ›
Filter op bestemming 50+ datasets Eigendomsdata in één klik Percelen CRM
525 m2 - 105 m
Eigenaar opvragen
APG00-G-3731 (Appingedam)
- 9902 RA
kTAZO yJ 50Uz2RfUpgrade naar KadastraleKaart Pro
Verkoopprijs opvragen
Bekijk op Street View
Download DWG/DXF/Excel
6R2ejdj9SBQUpgrade naar KadastraleKaart Pro
kb2eeUKP AxyDkfnUpgrade naar KadastraleKaart Pro
uIHis OLUpgrade naar KadastraleKaart Pro
o8D9s3 90Xo7FNBnS9oXWUUpgrade naar KadastraleKaart Pro
QhcLFp u 7y10QSbkbXOUpgrade naar KadastraleKaart Pro
ZluFseP6Upgrade naar KadastraleKaart Pro
G ZRE9xz8pG9LwQ2padVQUpgrade naar KadastraleKaart Pro
LGS1FMdyvgRRLWRzUpgrade naar KadastraleKaart Pro
DG3 qQ0Z3WEDCU bIfeUpgrade naar KadastraleKaart Pro
LWJJCBV7Bbi6LUJuUpgrade naar KadastraleKaart Pro
18/03/2002

Percelen
Gebruik de zoekbalk of klik op een perceel om informatie over het perceel te bekijken.