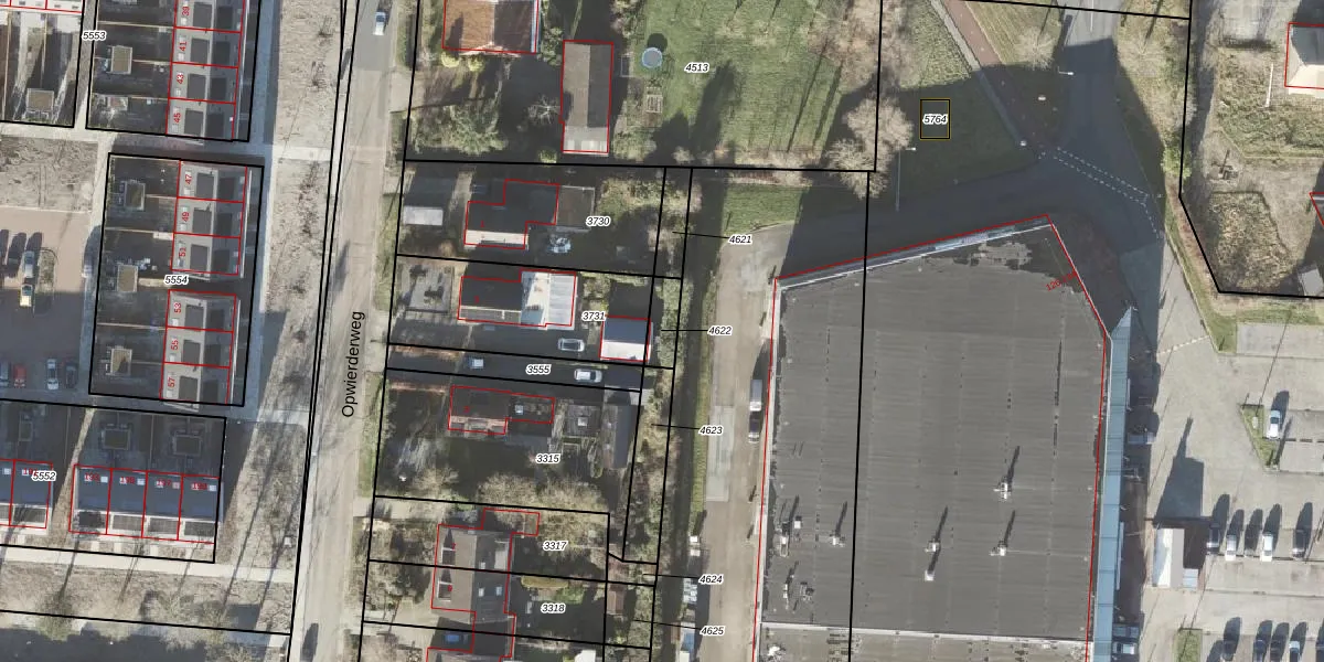
Perceel: APG00-G-4622
KadastraleKaart.com kan meer dan je denktOntdek meer ›
Filter op bestemming 50+ datasets Eigendomsdata in één klik Percelen CRM
Geen adressen bij dit perceel
61 m2 - 36 m
Eigenaar opvragen
APG00-G-4622 (Appingedam)
- Geen postcode aanwezig
gJRbJx6WSfrNJ6hAC2RmxdpUpgrade naar KadastraleKaart Pro
Bekijk op Street View
Download DWG/DXF/Excel
VIdILCgzmUpgrade naar KadastraleKaart Pro
B41NfNfl2Jb1jaTX3wlUpgrade naar KadastraleKaart Pro
nsa3GLlMUpgrade naar KadastraleKaart Pro
of a9bDe9dx dlS0oY 0mVUpgrade naar KadastraleKaart Pro
bpqSYvy3Vybk8UmaUpgrade naar KadastraleKaart Pro
iTPVBk5u Upgrade naar KadastraleKaart Pro
aDwZIzkdxvlSL9ErvR f1hUpgrade naar KadastraleKaart Pro
Vb 1aMgripIkl5ymSAt s0DUpgrade naar KadastraleKaart Pro
sfs6fxR 88y57uczfVA5xlMUpgrade naar KadastraleKaart Pro
oLr5Ti n9zVx9qofmJSUpgrade naar KadastraleKaart Pro
18/03/2002

Percelen
Gebruik de zoekbalk of klik op een perceel om informatie over het perceel te bekijken.