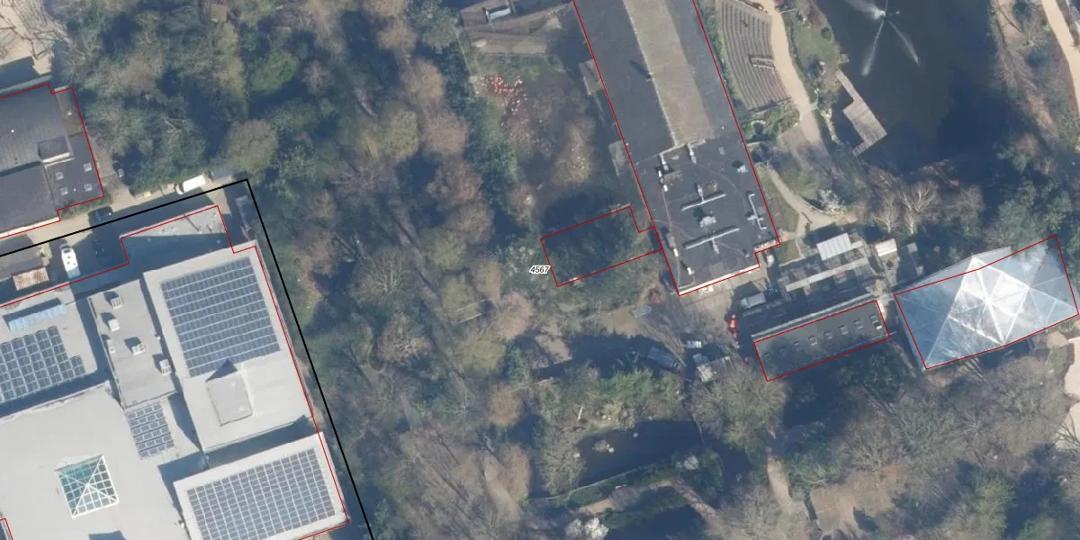
Perceel: APN01-A-4567
KadastraleKaart.com kan meer dan je denktOntdek meer ›
Filter op bestemming 50+ datasets Eigendomsdata in één klik Percelen CRM
105.880 m2 - 1.699 m
Eigenaar opvragen
APN01-A-4567 (Alphen aan den Rijn)
- 2404 HG -2404 XN
O3n8IDrAHK4YAmKLI tNigNnUpgrade naar KadastraleKaart Pro
Bekijk op Street View
Download DWG/DXF/Excel
a11tHo0o m9BzTlUpgrade naar KadastraleKaart Pro
wuAgSloAE NXm7vX 4YOLTUpgrade naar KadastraleKaart Pro
7hmkvhR6CB1Upgrade naar KadastraleKaart Pro
wpkUpIP 2Upgrade naar KadastraleKaart Pro
20P0a4Veero ASmczUpgrade naar KadastraleKaart Pro
33RFKcHDIZJoHcbz75xMHcUpgrade naar KadastraleKaart Pro
M vqNG lAJO bGOEnWZEUi3Upgrade naar KadastraleKaart Pro
bV 0uO9rnOOfLmUpgrade naar KadastraleKaart Pro
Ogv6c RUrOKpni5Upgrade naar KadastraleKaart Pro
yB KrKXJyWizUpgrade naar KadastraleKaart Pro
06/11/2018

Percelen
Gebruik de zoekbalk of klik op een perceel om informatie over het perceel te bekijken.