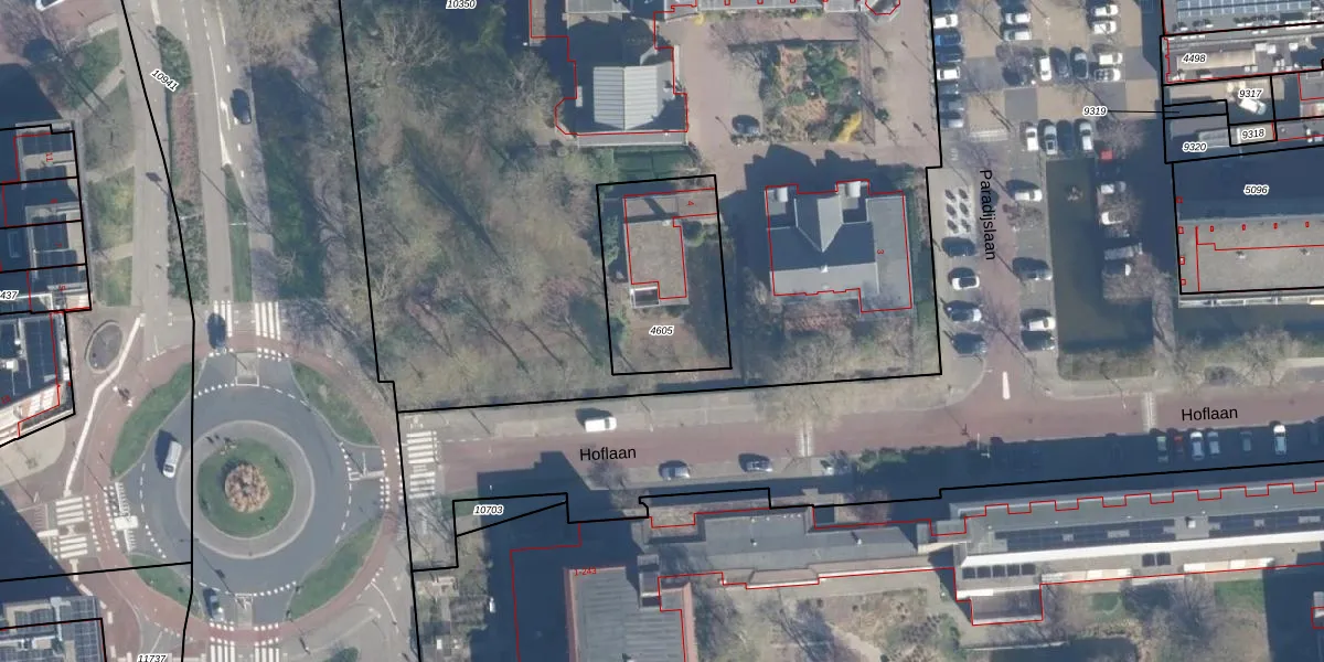
Perceel: APN01-B-4605
KadastraleKaart.com kan meer dan je denktOntdek meer ›
Filter op bestemming 50+ datasets Eigendomsdata in één klik Percelen CRM
523 m2 - 94 m
Eigenaar opvragen
APN01-B-4605 (Alphen aan den Rijn)
- 2405 CC
x4RuuWWbJilinaxw9HUpgrade naar KadastraleKaart Pro
Bekijk op Street View
Download DWG/DXF/Excel
mc3 M6NYEC5BfUpgrade naar KadastraleKaart Pro
Bj59MA oYARexWUpgrade naar KadastraleKaart Pro
XE cXQKsmFYUpgrade naar KadastraleKaart Pro
YrhvO5w 7ENPvAbf8YehUpgrade naar KadastraleKaart Pro
0PDddRIQ2d 65nWDWmUpgrade naar KadastraleKaart Pro
n HNwUaSLhlm52pA9SzEUpgrade naar KadastraleKaart Pro
hj1ZT0 MmcjzPr7EUpgrade naar KadastraleKaart Pro
33 upuu8kKvTUpgrade naar KadastraleKaart Pro
FY8D5Irq4 sxAi Upgrade naar KadastraleKaart Pro
KSi4 nOj5seg ze9aDUpgrade naar KadastraleKaart Pro
02/06/2005

Percelen
Gebruik de zoekbalk of klik op een perceel om informatie over het perceel te bekijken.