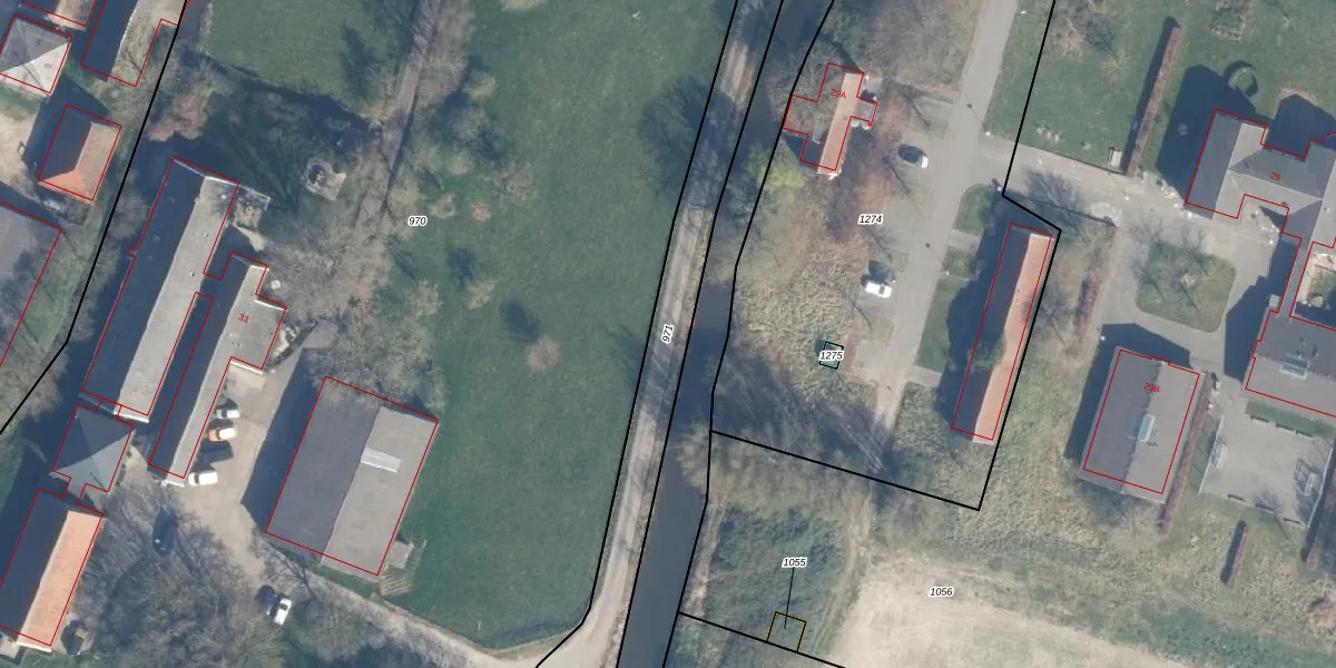
Perceel: APN01-G-971
Geen adressen bij dit perceel
915 m2 - 298 m
Eigenaar opvragen
APN01-G-971 (Alphen aan den Rijn)
- Geen postcode aanwezig
QQ0zkfVyfa cyg5ztWwiT7O4AFMUpgrade naar KadastraleKaart Pro
Bekijk op Street View
Download DWG/DXF/Excel
NSpI09uRnv58DE lUsxUpgrade naar KadastraleKaart Pro
8OgK T9 AUpgrade naar KadastraleKaart Pro
ZXPBSwlWIhf1cxUpgrade naar KadastraleKaart Pro
wwz15dB ZPYqBQwrTUpgrade naar KadastraleKaart Pro
lytoagI2Jwptct 4CyYyaUpgrade naar KadastraleKaart Pro
YNsTUdhBu pubN6dZiUpgrade naar KadastraleKaart Pro
KMSQGBv9DjQUpgrade naar KadastraleKaart Pro
9jp L7HLw8q3cUpgrade naar KadastraleKaart Pro
LydiWDCNQ7P2k1dYChZz1Upgrade naar KadastraleKaart Pro
p28UocugiHxgXzxMwyre2Upgrade naar KadastraleKaart Pro
05/07/2010

Percelen
Gebruik de zoekbalk of klik op een perceel om informatie over het perceel te bekijken.