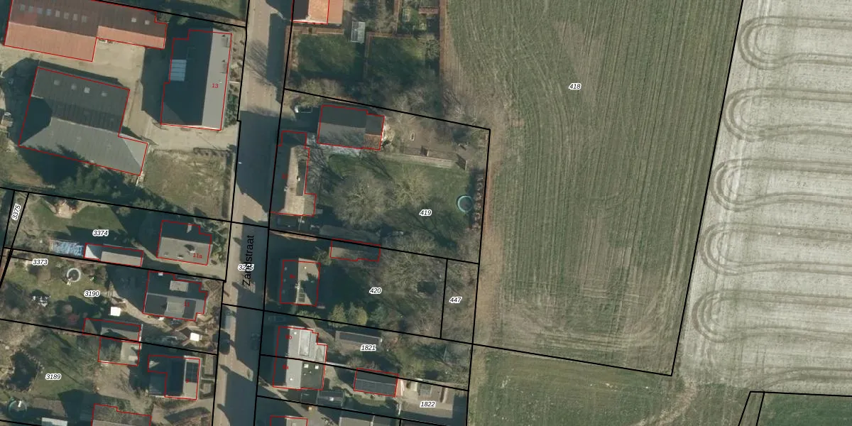
Perceel: APN03-L-419
KadastraleKaart.com kan meer dan je denktOntdek meer ›
Filter op bestemming 50+ datasets Eigendomsdata in één klik Percelen CRM
1.610 m2 - 164 m
Eigenaar opvragen
APN03-L-419 (Alphen en Riel)
- 5131 AC
nbVjUIdBjJLr1kKE9Upgrade naar KadastraleKaart Pro
Verkoopprijs opvragen
Bekijk op Street View
Download DWG/DXF/Excel
FUVmR JVUcrC5 N aUpgrade naar KadastraleKaart Pro
w4eJVEv9x 6MJsp 5uBQUpgrade naar KadastraleKaart Pro
Qm M rZleT FCyw C9zLcUpgrade naar KadastraleKaart Pro
gcZ1BNg91i03iunpHezH95Upgrade naar KadastraleKaart Pro
QmP p hRQ9QAdolUUpgrade naar KadastraleKaart Pro
WqK5JWu CA 7cPLUpgrade naar KadastraleKaart Pro
U3HP LtidsQKaoaWP9T OnUpgrade naar KadastraleKaart Pro
0pwa2HbwReJ3Sip4C7iUpgrade naar KadastraleKaart Pro
hyMJWGCYUpgrade naar KadastraleKaart Pro
0 J lVqZOI XuH UUpgrade naar KadastraleKaart Pro
24/05/2007

Percelen
Gebruik de zoekbalk of klik op een perceel om informatie over het perceel te bekijken.