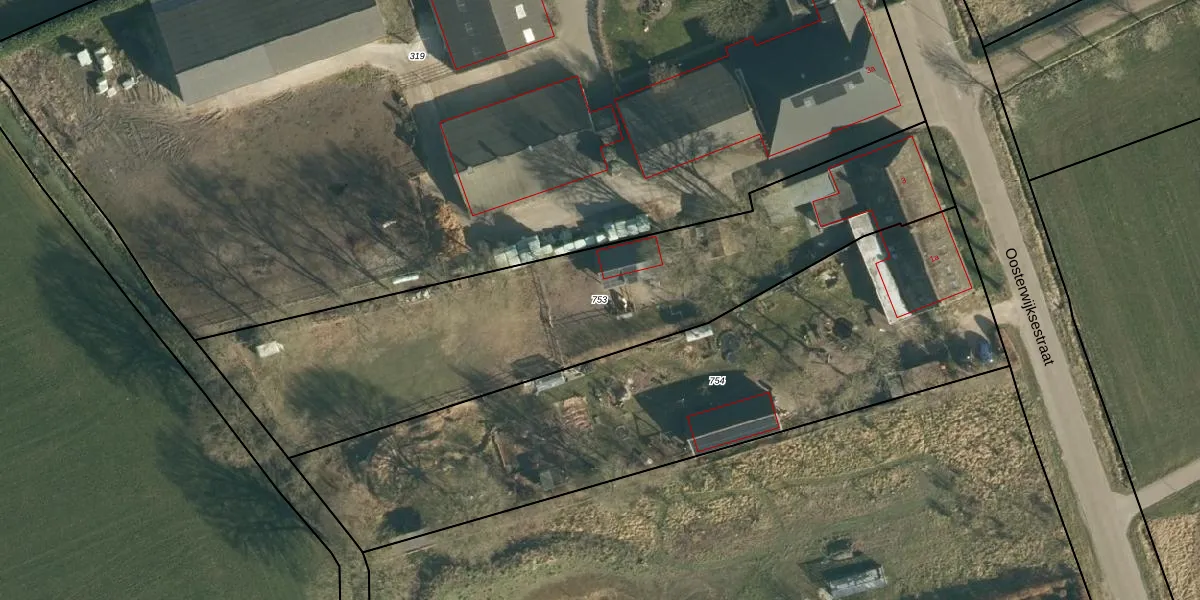
Perceel: APN03-L-753
KadastraleKaart.com kan meer dan je denktOntdek meer ›
Filter op bestemming 50+ datasets Eigendomsdata in één klik Percelen CRM
2.205 m2 - 290 m
Eigenaar opvragen
APN03-L-753 (Alphen en Riel)
- 5131 NL
Kb6t8X6kOyawtCoXxp yJG5 Upgrade naar KadastraleKaart Pro
Bekijk op Street View
Download DWG/DXF/Excel
afKg5GXt5lUpgrade naar KadastraleKaart Pro
bO gyut DNbJL8PfUpgrade naar KadastraleKaart Pro
GFAdL7jw u7Upgrade naar KadastraleKaart Pro
SJ pL14 WsGY0iSHiSEDUpgrade naar KadastraleKaart Pro
aikprX9HM zf1qRolUUpgrade naar KadastraleKaart Pro
EBswb8w5 5w9h8Re1YoLmUpgrade naar KadastraleKaart Pro
DEGmfpL 2p9lGuPWhhneUpgrade naar KadastraleKaart Pro
PrcOoOpUX EzCjIBmpdfUpgrade naar KadastraleKaart Pro
Y9TQ0NCKifbt ijUpgrade naar KadastraleKaart Pro
A5wu6qa3uj Upgrade naar KadastraleKaart Pro
11/08/2015

Percelen
Gebruik de zoekbalk of klik op een perceel om informatie over het perceel te bekijken.