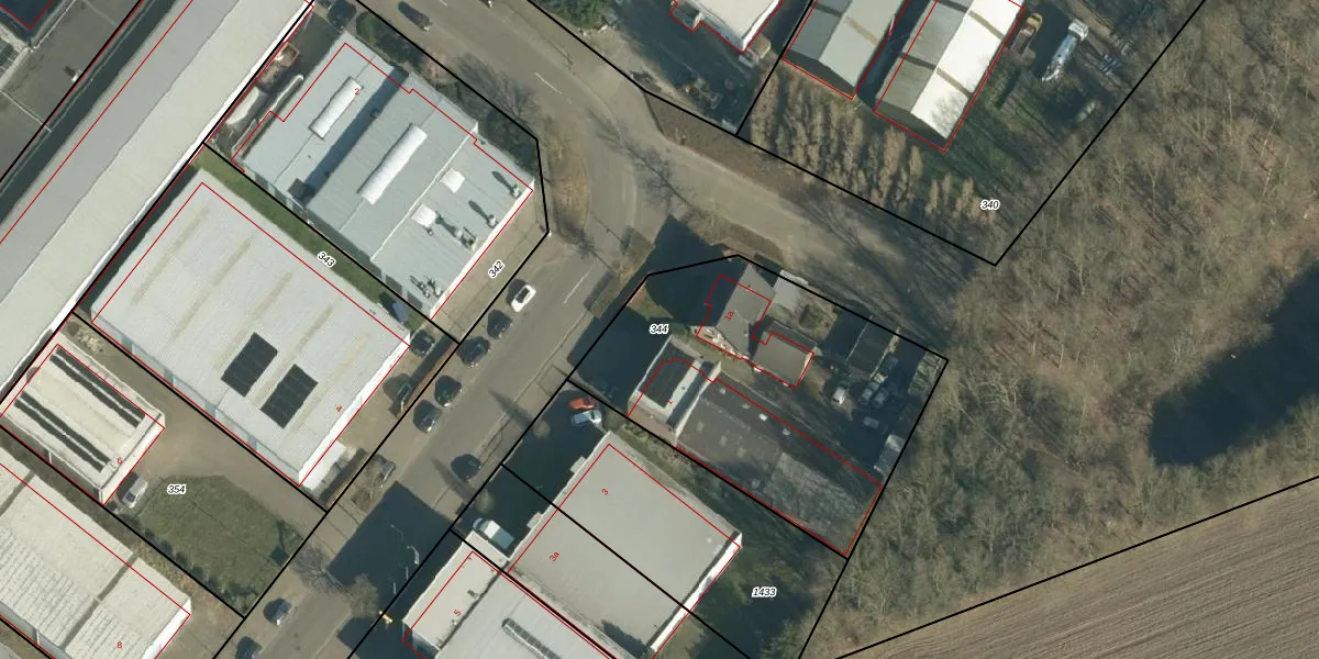
Perceel: APN03-M-344
KadastraleKaart.com kan meer dan je denktOntdek meer ›
Filter op bestemming 50+ datasets Eigendomsdata in één klik Percelen CRM
1.450 m2 - 154 m
Eigenaar opvragen
APN03-M-344 (Alphen en Riel)
- 5131 PH
o 8RyY6 gjFgzGOgrhII6r7ko0kLYUpgrade naar KadastraleKaart Pro
Verkoopprijs opvragen
Bekijk op Street View
Download DWG/DXF/Excel
psevOoAY Upgrade naar KadastraleKaart Pro
68zlupwHDjF fCca4lQoUpgrade naar KadastraleKaart Pro
ix3 FW 2GyZ JTNL hUpgrade naar KadastraleKaart Pro
3LTUAbnRKHIp9SoVVZJcLbUpgrade naar KadastraleKaart Pro
zE6X6b8u mUpgrade naar KadastraleKaart Pro
Mbdaqh gQaVUpgrade naar KadastraleKaart Pro
waI Mw2kZjmUpgrade naar KadastraleKaart Pro
68eb wnAsiUpgrade naar KadastraleKaart Pro
iWvw46vLtHUpgrade naar KadastraleKaart Pro
Ka3Pt RrxqyqUpgrade naar KadastraleKaart Pro
04/06/2007

Percelen
Gebruik de zoekbalk of klik op een perceel om informatie over het perceel te bekijken.