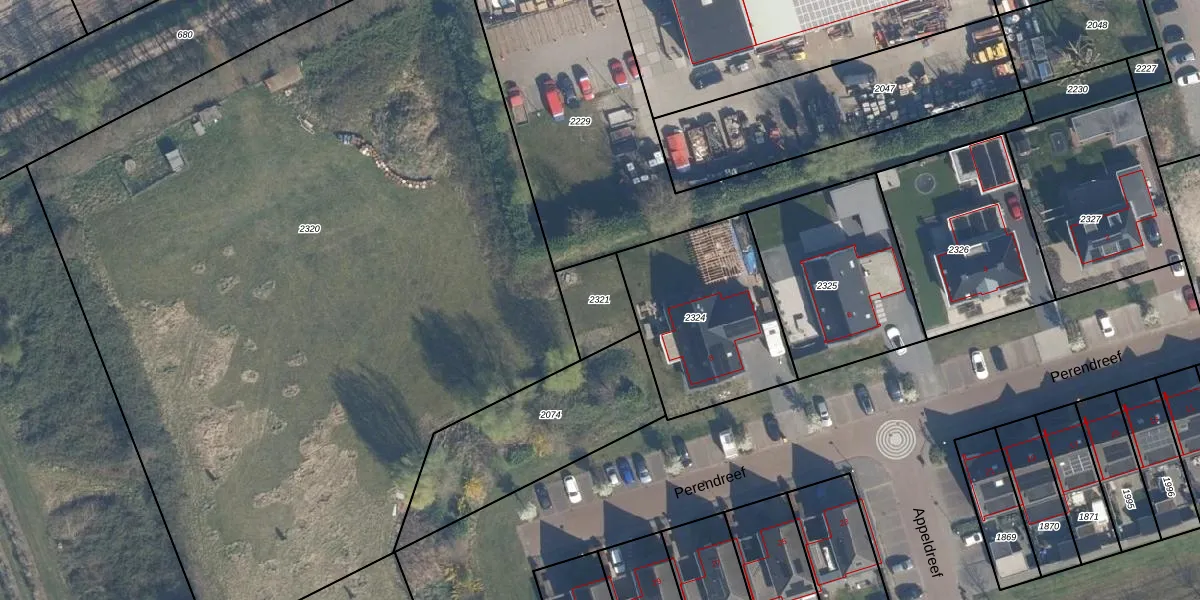
Perceel: APR00-A-2321
Geen adressen bij dit perceel
157 m2 - 51 m
Eigenaar opvragen
APR00-A-2321 (Asperen)
- Geen postcode aanwezig
h fhYQCsXoB d HyXXBR5cmzUpgrade naar KadastraleKaart Pro
Bekijk op Street View
Download DWG/DXF/Excel
AXToKHhB9OYaO Nm5WMgil Upgrade naar KadastraleKaart Pro
u Como3ZSSol7h5JDTSUpgrade naar KadastraleKaart Pro
HoDSC2VNPDx w8 PUUpgrade naar KadastraleKaart Pro
CsNPr Coajqp Upgrade naar KadastraleKaart Pro
NzHiq27g4NvUpgrade naar KadastraleKaart Pro
II1Ob6oEgRRodGTUpgrade naar KadastraleKaart Pro
B OFIS5FBhJZUpgrade naar KadastraleKaart Pro
fzHUfXwRdSUpgrade naar KadastraleKaart Pro
Lqus7bZhg12yUpgrade naar KadastraleKaart Pro
D5IxA4f4GUpgrade naar KadastraleKaart Pro
12/02/2021

Percelen
Gebruik de zoekbalk of klik op een perceel om informatie over het perceel te bekijken.