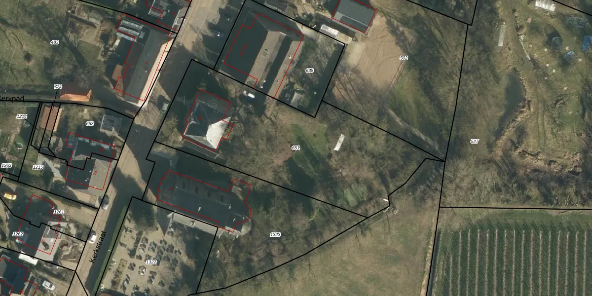
Perceel: APT00-N-651
KadastraleKaart.com kan meer dan je denktOntdek meer ›
Filter op bestemming 50+ datasets Eigendomsdata in één klik Percelen CRM
2.470 m2 - 242 m
Eigenaar opvragen
APT00-N-651 (Appeltern)
- 6628 AC
cU0 VPwV xLK3QsDaSvFM2MfSUUpgrade naar KadastraleKaart Pro
Bekijk op Street View
Download DWG/DXF/Excel
0qEFxueqkyUpgrade naar KadastraleKaart Pro
hEZ EtKQUpgrade naar KadastraleKaart Pro
0MH rdVDUpgrade naar KadastraleKaart Pro
3zqGbqE5GD0pcB49Upgrade naar KadastraleKaart Pro
qtU4oBNTWobqxigUUpgrade naar KadastraleKaart Pro
SZQIUX26 woIcYvwDpm Upgrade naar KadastraleKaart Pro
Vz0ZtW8xMUpgrade naar KadastraleKaart Pro
pzaH2vrPjUpgrade naar KadastraleKaart Pro
ZYdd6JWst rXchzBtEbR Upgrade naar KadastraleKaart Pro
rZi4OBvB RGsGSISUpgrade naar KadastraleKaart Pro
23/02/2000

Percelen
Gebruik de zoekbalk of klik op een perceel om informatie over het perceel te bekijken.