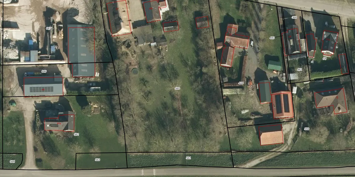
Perceel: APT00-O-560
KadastraleKaart.com kan meer dan je denktOntdek meer ›
Filter op bestemming 50+ datasets Eigendomsdata in één klik Percelen CRM
6.040 m2 - 331 m
Eigenaar opvragen
APT00-O-560 (Appeltern)
- 6629 AR
2hDmPJwa9x9S75ow snjIIYdR4hw tnUpgrade naar KadastraleKaart Pro
Verkoopprijs opvragen
Bekijk op Street View
Download DWG/DXF/Excel
oJwAgq HM6JcTUpgrade naar KadastraleKaart Pro
KMZu vXUSlJid6Upgrade naar KadastraleKaart Pro
yW73k CCmJj5finzKl Zd2Upgrade naar KadastraleKaart Pro
hUickiUrSR289MxQxpUpgrade naar KadastraleKaart Pro
UGvbTVGen Upgrade naar KadastraleKaart Pro
jMuyQd 4sgzqgsKmEHkUpgrade naar KadastraleKaart Pro
gdK1NMHKFYh2OUpgrade naar KadastraleKaart Pro
udgqQ 0IEE04Upgrade naar KadastraleKaart Pro
sfvGop7UoUpgrade naar KadastraleKaart Pro
9tNVzxObQJfYON6DF uxRN3Upgrade naar KadastraleKaart Pro
26/07/2016

Percelen
Gebruik de zoekbalk of klik op een perceel om informatie over het perceel te bekijken.