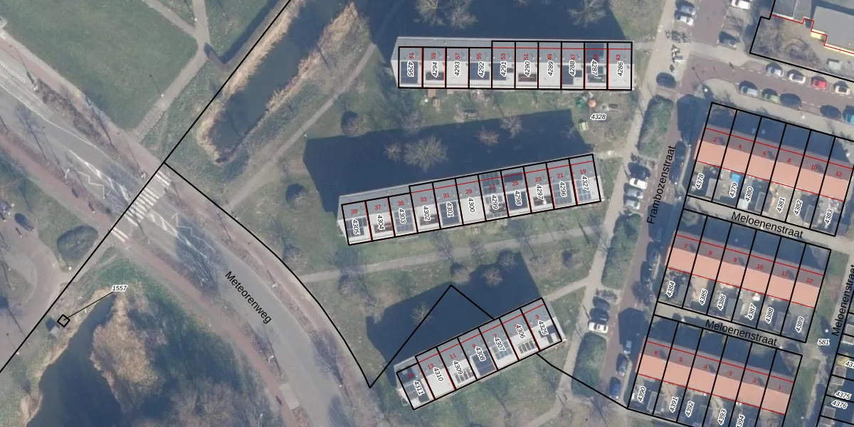
Perceel: ASD28-AH-4302
KadastraleKaart.com kan meer dan je denktOntdek meer ›
Filter op bestemming 50+ datasets Eigendomsdata in één klik Percelen CRM
60 m2 - 33 m
Eigenaar opvragen
ASD28-AH-4302 (Amsterdam)
- 1033 SX
Mjph9EPq07 omUDj5x DocwsUpgrade naar KadastraleKaart Pro
Verkoopprijs opvragen
Bekijk op Street View
Download DWG/DXF/Excel
sTrIZ ztSI4Upgrade naar KadastraleKaart Pro
vCxUcsbchGJMXkX4daoUpgrade naar KadastraleKaart Pro
q IVO 8DJfnlCdMYoUpgrade naar KadastraleKaart Pro
owsBVb hYxGSUpgrade naar KadastraleKaart Pro
GT yb5ey29KzFUpgrade naar KadastraleKaart Pro
T9ebplYtbUpgrade naar KadastraleKaart Pro
x JVQJjmORr0LYap W jU4Upgrade naar KadastraleKaart Pro
9uhiq0iGU61lzO97Xx0U5Upgrade naar KadastraleKaart Pro
WP7t3W2DQtAYfHhe3FeeUpgrade naar KadastraleKaart Pro
quYhcbdPWX 79i 7AF8UiJUpgrade naar KadastraleKaart Pro
09/06/2009

Percelen
Gebruik de zoekbalk of klik op een perceel om informatie over het perceel te bekijken.