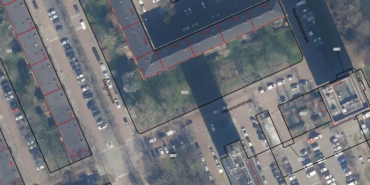
Perceel: ASD31-AL-2843
KadastraleKaart.com kan meer dan je denktOntdek meer ›
Filter op bestemming 50+ datasets Eigendomsdata in één klik Percelen CRM
5.512 m2 - 412 m
Eigenaar opvragen
ASD31-AL-2843 (Amsterdam)
- 1024 EK -1024 GT -1024 GV -1024 GW -1024 GX -1024 GZ
Ej5tcYUiLOaWQenWj6l5yixMUpgrade naar KadastraleKaart Pro
Bekijk op Street View
Download DWG/DXF/Excel
PJ6adIE88w0LeI5 KOmFUpgrade naar KadastraleKaart Pro
acHxPuBHxSjI8gdC3VPUpgrade naar KadastraleKaart Pro
l 6 VGDP3kLrR9 Upgrade naar KadastraleKaart Pro
CPo4CZAO0Eh2d3MQTUpgrade naar KadastraleKaart Pro
kvOQhPI8kR1IKmwTBzqlUpgrade naar KadastraleKaart Pro
1ryfiV0 ifjpSlfVrMUpgrade naar KadastraleKaart Pro
UTWRC88AbCUpgrade naar KadastraleKaart Pro
1V ib9z0Jh WnI MfdHySUpgrade naar KadastraleKaart Pro
dJqffrWNawU5OmjXWuLUpgrade naar KadastraleKaart Pro
CdK2fov OGvtUpgrade naar KadastraleKaart Pro
13/01/2010

Percelen
Gebruik de zoekbalk of klik op een perceel om informatie over het perceel te bekijken.