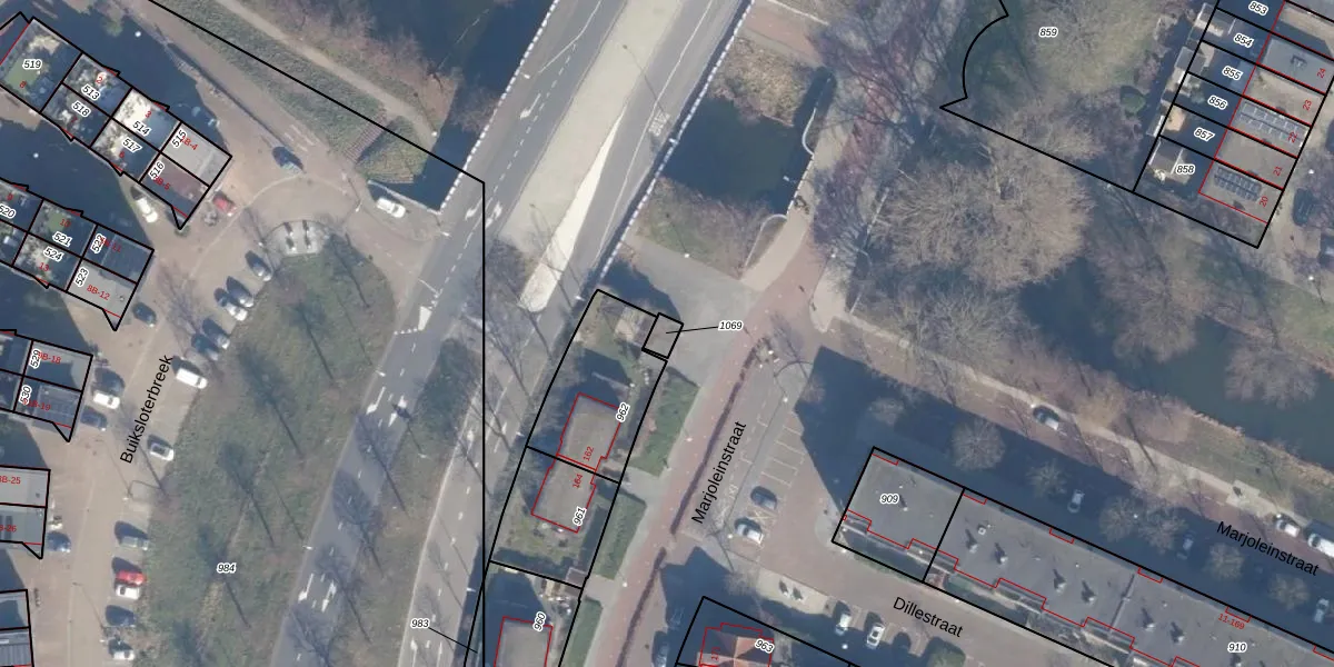
Perceel: ASD32-AM-1069
Geen adressen bij dit perceel
23 m2 - 19 m
Eigenaar opvragen
ASD32-AM-1069 (Amsterdam)
- Geen postcode aanwezig
7Q XR3zoybR2yWW8ypLvZUJcJCOxEUpgrade naar KadastraleKaart Pro
Bekijk op Street View
Download DWG/DXF/Excel
QCQcTluuqbHUMAUpgrade naar KadastraleKaart Pro
im5zPvUIidP RfvjUpgrade naar KadastraleKaart Pro
Juf3 Sa ZuODC0rIhCUpgrade naar KadastraleKaart Pro
JYtRzTP6hMz7pG n0HJ9WiUpgrade naar KadastraleKaart Pro
NLXAyVvDLJieYqCcltPv WUpgrade naar KadastraleKaart Pro
yxSjGDkFJlW9qUpgrade naar KadastraleKaart Pro
XDBR5KOqZu RHwcsJh4Upgrade naar KadastraleKaart Pro
O36OvMr0PZUpgrade naar KadastraleKaart Pro
WJAhrRVuIMUpgrade naar KadastraleKaart Pro
6lZ1Z PF CUpgrade naar KadastraleKaart Pro
06/01/2012

Percelen
Gebruik de zoekbalk of klik op een perceel om informatie over het perceel te bekijken.