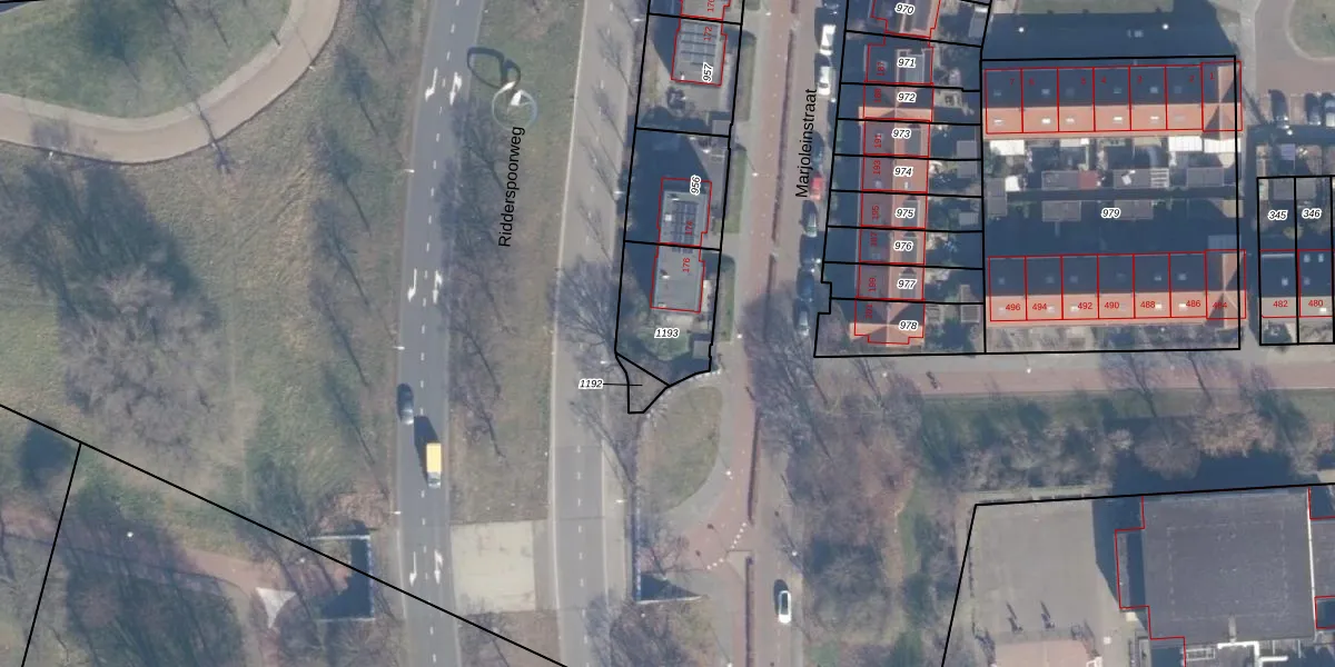
Perceel: ASD32-AM-1193
276 m2 - 66 m
Eigenaar opvragen
ASD32-AM-1193 (Amsterdam)
- 1034 DT
A nW5lhYIoVu10WWBU AUpgrade naar KadastraleKaart Pro
Bekijk op Street View
Download DWG/DXF/Excel
zn84 oXsiNkAPUpgrade naar KadastraleKaart Pro
4GchkFOXv vbXxdc5Upgrade naar KadastraleKaart Pro
Lsi WTbAuDrG3Tkp9hH 6zwUpgrade naar KadastraleKaart Pro
thD CT2TsCxWdb1B 3DJeUpgrade naar KadastraleKaart Pro
3mQpZQE1Upgrade naar KadastraleKaart Pro
7C fkJqoPlFwQVRyUpgrade naar KadastraleKaart Pro
l ZpTRFb l2I5PUpgrade naar KadastraleKaart Pro
Pc7MYS ALxDUtziy3RUpgrade naar KadastraleKaart Pro
xT50wWGi8a6QGD3Upgrade naar KadastraleKaart Pro
eXFBCVs51nNu0G TUpgrade naar KadastraleKaart Pro
27/12/2016

Percelen
Gebruik de zoekbalk of klik op een perceel om informatie over het perceel te bekijken.