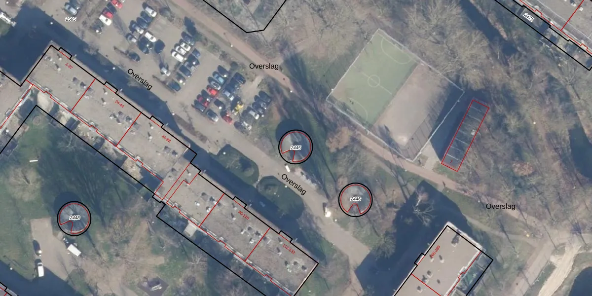
Perceel: ASD36-AQ-2445
KadastraleKaart.com kan meer dan je denktOntdek meer ›
Filter op bestemming 50+ datasets Eigendomsdata in één klik Percelen CRM
Geen adressen bij dit perceel
102 m2 - 36 m
Eigenaar opvragen
ASD36-AQ-2445 (Amsterdam)
- Geen postcode aanwezig
E NJSyINutGjR06aHdUpgrade naar KadastraleKaart Pro
Bekijk op Street View
Download DWG/DXF/Excel
Kh YGIvk oUpgrade naar KadastraleKaart Pro
Ll5X3MAHJpEQUpgrade naar KadastraleKaart Pro
3Md 5jsAIf FBDSD264iUlpUpgrade naar KadastraleKaart Pro
GItVR siUZ0Upgrade naar KadastraleKaart Pro
gVtjNgYTjOdVUpgrade naar KadastraleKaart Pro
6cHDd7x3E4nJNcVUpgrade naar KadastraleKaart Pro
lNgYmzTwbvzQE0W3Upgrade naar KadastraleKaart Pro
JKllLzwZTAczkN ew9lUpgrade naar KadastraleKaart Pro
nY YCnyamLYNUAxJ TfUpgrade naar KadastraleKaart Pro
U XS1N9xR2R5 OSXnaoKZ9Upgrade naar KadastraleKaart Pro
30/12/2010

Percelen
Gebruik de zoekbalk of klik op een perceel om informatie over het perceel te bekijken.