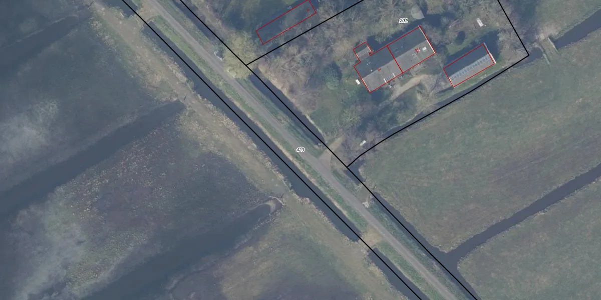
Perceel: ASL00-I-423
KadastraleKaart.com kan meer dan je denktOntdek meer ›
Filter op bestemming 50+ datasets Eigendomsdata in één klik Percelen CRM
Geen adressen bij dit perceel
3.895 m2 - 614 m
Eigenaar opvragen
ASL00-I-423 (Ouder-Amstel)
- Geen postcode aanwezig
PYfoLV6tM8ZZi laplO9lWUpgrade naar KadastraleKaart Pro
Bekijk op Street View
Download DWG/DXF/Excel
hWI9ZszlbfGfUpgrade naar KadastraleKaart Pro
GHW9vSy CDUpgrade naar KadastraleKaart Pro
LOUyVEV BZW03LbXD Ped Upgrade naar KadastraleKaart Pro
tei bQr9EpKUpgrade naar KadastraleKaart Pro
vUnC2Yvox2ThhUpgrade naar KadastraleKaart Pro
ve9nOihajUpgrade naar KadastraleKaart Pro
DTCIJTRPOHDgeik5z3uVcUUpgrade naar KadastraleKaart Pro
ENS g eQ6lmhVdpWy Upgrade naar KadastraleKaart Pro
LH jHYCgQtc BQDUpgrade naar KadastraleKaart Pro
HDclN1eA9cBG0Yp Mv6y Upgrade naar KadastraleKaart Pro
14/09/2022

Percelen
Gebruik de zoekbalk of klik op een perceel om informatie over het perceel te bekijken.