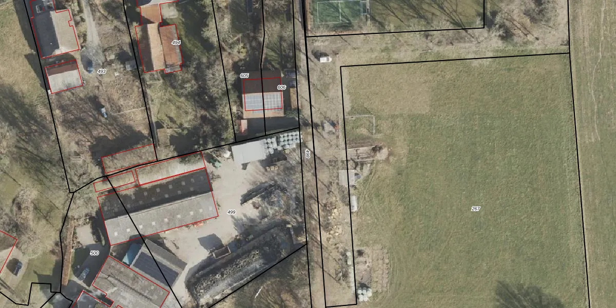
Perceel: ASN00-AA-498
KadastraleKaart.com kan meer dan je denktOntdek meer ›
Filter op bestemming 50+ datasets Eigendomsdata in één klik Percelen CRM
Geen adressen bij dit perceel
826 m2 - 502 m
Eigenaar opvragen
ASN00-AA-498 (Assen)
- Geen postcode aanwezig
Lv6APDFR2DzLcmhjzNJxRatUpgrade naar KadastraleKaart Pro
Bekijk op Street View
Download DWG/DXF/Excel
HdB0LrlA3V5ToR MW70T3Upgrade naar KadastraleKaart Pro
T 9NhA yy ysp shMIAoUpgrade naar KadastraleKaart Pro
8n38ruw 5MSUpgrade naar KadastraleKaart Pro
3 X7r70xtnOKli7zaIFUpgrade naar KadastraleKaart Pro
99F2 AiZESQRUpgrade naar KadastraleKaart Pro
qOC1xZFuF tV79 VfMsbtUpgrade naar KadastraleKaart Pro
UlsD40gCI XaMUpgrade naar KadastraleKaart Pro
US XLN IOIfdUpgrade naar KadastraleKaart Pro
mlNFj 4xWJ5McX7Upgrade naar KadastraleKaart Pro
lJe2lAXFIcUpgrade naar KadastraleKaart Pro
13/02/2006

Percelen
Gebruik de zoekbalk of klik op een perceel om informatie over het perceel te bekijken.