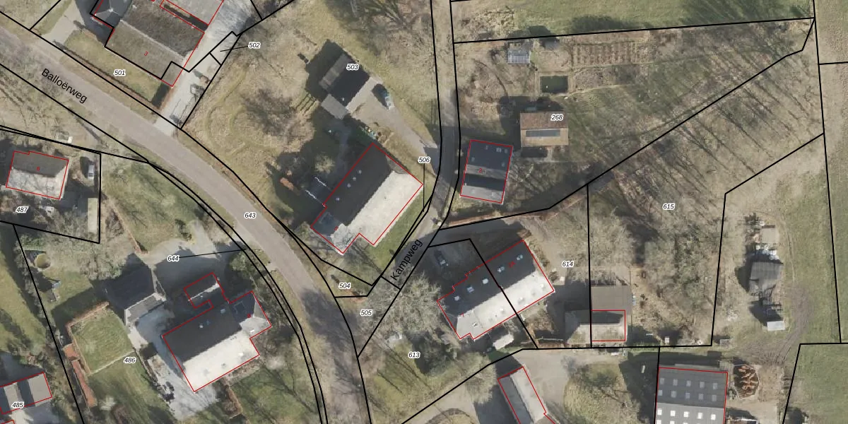
Perceel: ASN00-AA-506
KadastraleKaart.com kan meer dan je denktOntdek meer ›
Filter op bestemming 50+ datasets Eigendomsdata in één klik Percelen CRM
Geen adressen bij dit perceel
15 m2 - 40 m
Eigenaar opvragen
ASN00-AA-506 (Assen)
- Geen postcode aanwezig
epnJUI2SPbIPpzakZ6ZZHVE4 3Upgrade naar KadastraleKaart Pro
Bekijk op Street View
Download DWG/DXF/Excel
iXcmwIMcXMgPmJkTUpgrade naar KadastraleKaart Pro
iyifpUfIuQ vOwNheHhUpgrade naar KadastraleKaart Pro
cCZDJUc22dxO6Upgrade naar KadastraleKaart Pro
9SC5XSaT5YUpgrade naar KadastraleKaart Pro
qYFjoT2LsdEjYcyu1Upgrade naar KadastraleKaart Pro
4 ppUAtiUpgrade naar KadastraleKaart Pro
3NkBodSRXrrUWz2w9NhUpgrade naar KadastraleKaart Pro
i Z8LzeHw8TUpgrade naar KadastraleKaart Pro
X8rOySuPYI 8JWHe P686Upgrade naar KadastraleKaart Pro
h XzUuNzCUpgrade naar KadastraleKaart Pro
24/09/2003

Percelen
Gebruik de zoekbalk of klik op een perceel om informatie over het perceel te bekijken.