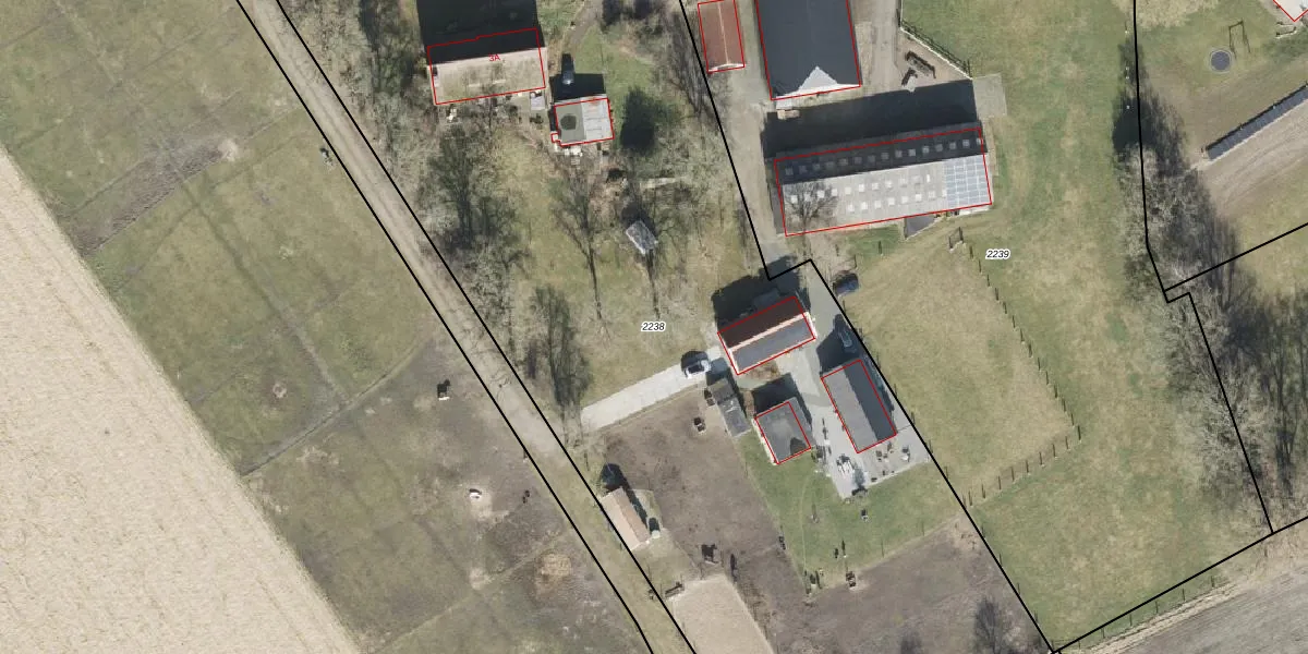
Perceel: ASN00-P-2238
KadastraleKaart.com kan meer dan je denktOntdek meer ›
Filter op bestemming 50+ datasets Eigendomsdata in één klik Percelen CRM
6.490 m2 - 393 m
Eigenaar opvragen
ASN00-P-2238 (Assen)
- 9405 VE
I2L14Lr dV4Aga9RcZoAB AfB9NiUpgrade naar KadastraleKaart Pro
Bekijk op Street View
Download DWG/DXF/Excel
avSv7Wf s1bbLzP88 9JUpgrade naar KadastraleKaart Pro
s5RZ8gxxakgGm6NoPtUpgrade naar KadastraleKaart Pro
Hn sSNQBTo1ddUpgrade naar KadastraleKaart Pro
lAb07 EgnDQpVc0Upgrade naar KadastraleKaart Pro
CbHa8Thcn 0 zFUpgrade naar KadastraleKaart Pro
Nsps5W36ILaLFDFaOvWRfOfUpgrade naar KadastraleKaart Pro
xqbtA5Jk6psn21YKmUpgrade naar KadastraleKaart Pro
SOohx7 phIOCPm 7gLqlUpgrade naar KadastraleKaart Pro
twkb6MZ4Upgrade naar KadastraleKaart Pro
7y2 ufIZ4awh5r7LdUpgrade naar KadastraleKaart Pro
24/02/2023

Percelen
Gebruik de zoekbalk of klik op een perceel om informatie over het perceel te bekijken.