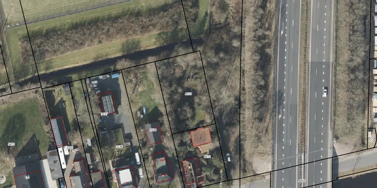
Perceel: ASN00-Q-4573
KadastraleKaart.com kan meer dan je denktOntdek meer ›
Filter op bestemming 50+ datasets Eigendomsdata in één klik Percelen CRM
Geen adressen bij dit perceel
960 m2 - 128 m
Eigenaar opvragen
ASN00-Q-4573 (Assen)
- Geen postcode aanwezig
0 RFyZ3AzilvKDVhUpgrade naar KadastraleKaart Pro
Bekijk op Street View
Download DWG/DXF/Excel
4KfuX zVrBsGrUpgrade naar KadastraleKaart Pro
spiHDkQ5OjNwQUpgrade naar KadastraleKaart Pro
9adgS1Iqo QOzUpgrade naar KadastraleKaart Pro
JqYLloUvUUpgrade naar KadastraleKaart Pro
Eab6Fck r0 TTt7B1Upgrade naar KadastraleKaart Pro
8HQEf7GnkaoU 1 qUpgrade naar KadastraleKaart Pro
3eK6prWu yqiZWUpgrade naar KadastraleKaart Pro
qeVsI rKnPPKVQUpgrade naar KadastraleKaart Pro
xEo36LCxE3evYHzJs3Pan9Upgrade naar KadastraleKaart Pro
dsLFy1jYmyNWQKWUpgrade naar KadastraleKaart Pro
16/03/2004

Percelen
Gebruik de zoekbalk of klik op een perceel om informatie over het perceel te bekijken.