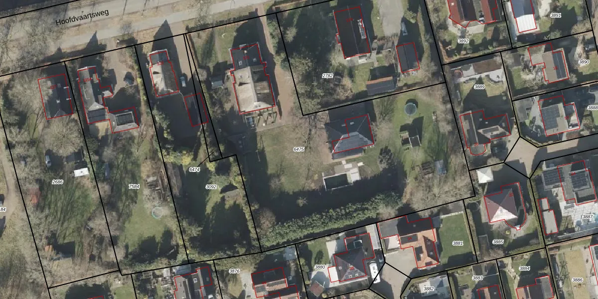
Perceel: ASN00-Q-6475
KadastraleKaart.com kan meer dan je denktOntdek meer ›
Filter op bestemming 50+ datasets Eigendomsdata in één klik Percelen CRM
4.125 m2 - 311 m
Eigenaar opvragen
ASN00-Q-6475 (Assen)
- 9405 VC
cIoeAx6ObQJ89pJQmqAb45m0Upgrade naar KadastraleKaart Pro
Verkoopprijs opvragen
Bekijk op Street View
Download DWG/DXF/Excel
VYxJdPUMYUpgrade naar KadastraleKaart Pro
z0pwKpdaxaSmKrOUhYUpgrade naar KadastraleKaart Pro
T SE1m H6RVtwBGTB5Upgrade naar KadastraleKaart Pro
874vZvkJUpgrade naar KadastraleKaart Pro
n R oGrDy85U0 UKuUpgrade naar KadastraleKaart Pro
a3JkWTUIUVuzQ2 Upgrade naar KadastraleKaart Pro
LJ8RuZlKqmTllwtThEqNRebUpgrade naar KadastraleKaart Pro
KURAwTvkKLwNGxjBvUpgrade naar KadastraleKaart Pro
T NcwpX8OcWZD4Upgrade naar KadastraleKaart Pro
BL6a2efhtYwMrbWfD7VUpgrade naar KadastraleKaart Pro
21/11/2008

Percelen
Gebruik de zoekbalk of klik op een perceel om informatie over het perceel te bekijken.