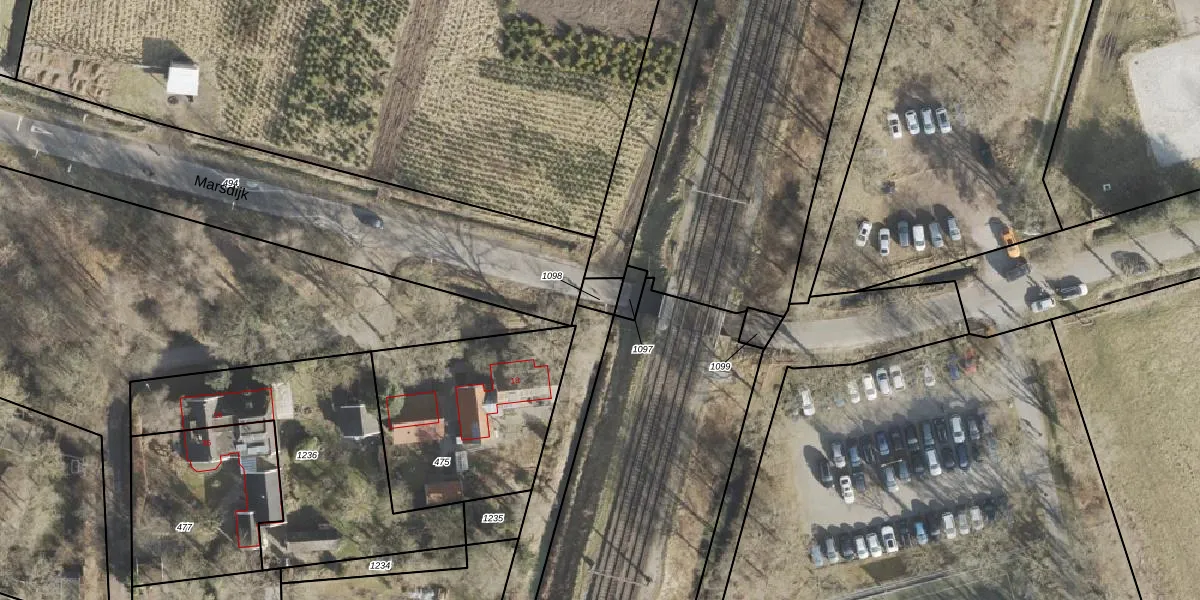
Perceel: ASN00-U-1098
Geen adressen bij dit perceel
35 m2 - 24 m
Eigenaar opvragen
ASN00-U-1098 (Assen)
- Geen postcode aanwezig
lXSIdYRYDfw1SPByW4ZmMPftUpgrade naar KadastraleKaart Pro
Bekijk op Street View
Download DWG/DXF/Excel
9sB8nF3yUpgrade naar KadastraleKaart Pro
efvUuu ns3C tMK9Upgrade naar KadastraleKaart Pro
CuR7tgG77rhAjnXVP5cuUpgrade naar KadastraleKaart Pro
kD1F5tzVhizzUpgrade naar KadastraleKaart Pro
fhMb8b2VoFQ1btOYUpgrade naar KadastraleKaart Pro
qFt kL qu7EVUpgrade naar KadastraleKaart Pro
9YuDNF0wPMuB iOUpgrade naar KadastraleKaart Pro
MdHDIOm4gKUpgrade naar KadastraleKaart Pro
kSImjW kgU179sUpgrade naar KadastraleKaart Pro
L8zBsfqPTy8VUpgrade naar KadastraleKaart Pro
30/10/2007

Percelen
Gebruik de zoekbalk of klik op een perceel om informatie over het perceel te bekijken.