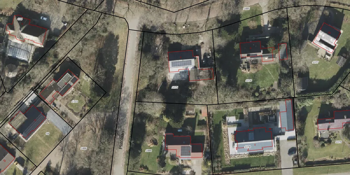
Perceel: ASN00-V-1075
KadastraleKaart.com kan meer dan je denktOntdek meer ›
Filter op bestemming 50+ datasets Eigendomsdata in één klik Percelen CRM
1.758 m2 - 170 m
Eigenaar opvragen
ASN00-V-1075 (Assen)
- 9404 EL
LHhov1y ZPqPlcBsUpgrade naar KadastraleKaart Pro
Verkoopprijs opvragen
Bekijk op Street View
Download DWG/DXF/Excel
w TxNRbE wsaZ csKUpgrade naar KadastraleKaart Pro
3aYxR5FBAXgUpgrade naar KadastraleKaart Pro
rrtqf7e INE3IW2kuUpgrade naar KadastraleKaart Pro
SiNmcTdg8cTk n gVcGUpgrade naar KadastraleKaart Pro
9slwx DE63Jy7 Upgrade naar KadastraleKaart Pro
GrLLOoXMRLneuC NXTqQ5Upgrade naar KadastraleKaart Pro
FDA0XflQ1J7zZpf4CFnUpgrade naar KadastraleKaart Pro
QoIULwPFTkDFNvsUluFl3Upgrade naar KadastraleKaart Pro
6cJAlLfG P5QYUpgrade naar KadastraleKaart Pro
m6f7m9 QQJ6a09cUpgrade naar KadastraleKaart Pro
25/08/2003

Percelen
Gebruik de zoekbalk of klik op een perceel om informatie over het perceel te bekijken.