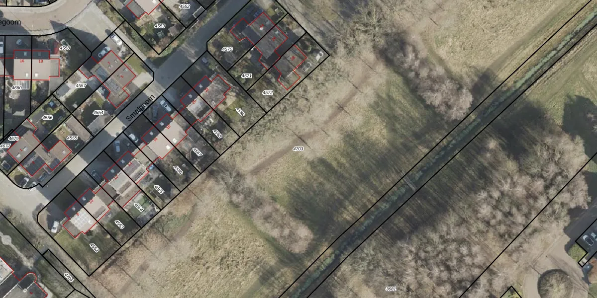
Perceel: ASN00-Z-4703
Geen adressen bij dit perceel
17.773 m2 - 1.269 m
Eigenaar opvragen
ASN00-Z-4703 (Assen)
- Geen postcode aanwezig
aHfp6 Xjkaz5QNnmUpgrade naar KadastraleKaart Pro
Bekijk op Street View
Download DWG/DXF/Excel
9mtQjbt2nr cI 2Upgrade naar KadastraleKaart Pro
q0 MTCbchUpgrade naar KadastraleKaart Pro
02c RO WafUpgrade naar KadastraleKaart Pro
Y1eXvM4rTUpgrade naar KadastraleKaart Pro
z6RXyKU LN6j5UD1vlYUpgrade naar KadastraleKaart Pro
wrwK7DhEALYTyoaolUpgrade naar KadastraleKaart Pro
scTyvBQ5 x0Uitc0g hEUpgrade naar KadastraleKaart Pro
VNCeiaJG41lGs9Upgrade naar KadastraleKaart Pro
Omq uP6mTM6Upgrade naar KadastraleKaart Pro
MH ni6v9eUU9A5yIJLLZUpgrade naar KadastraleKaart Pro
09/06/2017

Percelen
Gebruik de zoekbalk of klik op een perceel om informatie over het perceel te bekijken.